看板 TY_Research
作者 Matthew10244 ()
標題 [颱風] 楊柳颱風 海上陸上颱風警報 第10-2報
時間 Wed Aug 13 10:30:00 2025


【入板懶人包】#1PjhNDhC (TY_Research)
[FAQ ] TY_Research 大氣科學板 入板懶人包 - 看板 TY_Research - 批踢踢實業坊
作者: TenbeensWu (佐久間 薇子) 看不懂太多專業術語和簡稱嗎?希望這篇大氣板懶人包能夠幫到各位。 然後這篇po文因為不是太專業的東西,不會放到《薇子看氣象》這系列, 所以如果有人要找這po文的話,建議還是搜尋「懶人包」就好。 Q1:這板是什麼板? A1:這裡是大氣科學板,專門聊大氣科學相關議題,主要是氣象和氣候這些。
【停班停課】https://www.dgpa.gov.tw/
【航班異動】松 山:https://reurl.cc/32W29

 
      桃 園:https://reurl.cc/aWg3l
      清泉崗:https://reurl.cc/9Kq2O

 
      小 港:https://reurl.cc/lx2mQ
【追蹤班機】https://reurl.cc/m3R5Y1
Live Flight Tracker - Real-Time Flight Tracker Map | Flightradar24 Flightradar24 is the best live flight tracker that shows air traffic in real time. Best coverage and cool features! ...

 

【未來天氣】請移駕telnet://ptt2.cc的weathertw板,
      或於置底天氣詢問文推文詢問。
      氣象署是你的豪捧油,如果你信任他的話。
      https://www.cwa.gov.tw/V8/C/
首頁 | 交通部中央氣象署
中央氣象署提供精緻化預報及現代化氣象觀測, 縣市天氣預報, 鄉鎮天氣預報, 各類觀測資訊, 衛星雲圖, 雷達迴波, 雨量累積, 閃電, 紫外線, ...等。 ...

 

想要這些資訊嗎?想要的話我已經全部給你。
有問題的話請去置底串討論,謝謝配合 (′.ω.`)

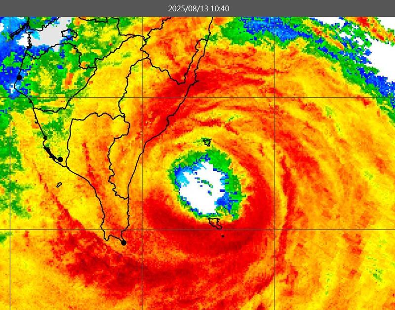
【最新警報單】https://www.cwa.gov.tw/Data/typhoon/I10.png
[圖]
【當前路徑圖】https://i.imgur.com/eFI48Vg.jpg
[圖]
【風切圖】http://tropic.ssec.wisc.edu/real-time/westpac/winds/wgmssht.GIF
[圖]
【駛流場】http://tropic.ssec.wisc.edu/real-time/westpac/winds/wgmsdlm1.GIF
[圖]
【海焓圖】https://i.imgur.com/VlssbjT.gif

中央氣象署  颱風警報單
發    布    時    間:民國114年8月13日10時15分。
警    報    種    類:海上陸上颱風警報。
颱 風 強 度 及 編 號:中度颱風,編號第11號
                      (國際命名:Podul,
                        中文譯名:楊柳)
警    報    報    數:第10-2報。
中    心    氣    壓:945百帕。
目    前    時    間:13日10時。
中    心    位    置:北緯22.2度,東經121.7度,
           即在臺東的東南方
           約90公里之處。
暴    風    半    徑:七級風暴風半徑180公里,
           十級風暴風半徑 60公里。
預 測 速 度 及 方 向:以每小時29轉32公里速度,
           向西北西進行。
近 中 心 最 大 風 速:每秒43公尺
           (約每小時155公里),
           相當於14級風。
瞬 間 之 最 大 陣 風:每秒53公尺
           (約每小時191公里),
           相當於16級風。
預    測    時    間:14日8時。
預    測    位    置:北緯24.5度,東經115.7度,
           即在金門的西方
           約270公里之處。
颱    風    動    態:根據最新資料顯示,第11號颱
                      風中心目前在臺東東南方海面,
                      向西北西移動,其暴風圈正逐漸
                      進入臺灣東南部、南部及東部陸
                      對臺東、花蓮、苗栗以南地
                      區及澎湖、金門構成威脅。
警 戒 區 域 及 事 項:陸上:花蓮、臺東、苗栗、臺中
                      、彰化、南投、雲林、嘉義、臺
                      南、高雄、屏東、澎湖、金門應
                      嚴加戒備。
                      海上:臺灣東半部海面、巴士海
                      峽、臺灣海峽航行及作業船隻應
                      嚴加戒備。
豪    雨    特    報:颱風及其外圍環流影響,易有短
                      延時強降雨,今(13日)上午
                      東半部地區雨勢漸增,下午起至
                      晚間嘉義以南地區降雨亦逐漸增
                      加;花蓮縣山區、臺東縣山區、
                      高雄市山區、屏東縣山區有局部
                      豪雨或大豪雨,花蓮縣、臺東縣
                      地區、嘉義縣地區、臺南市地區
                      、高雄市地區、屏東縣地區、宜
                      蘭縣山區有局部大雨或豪雨,
                      中、彰化、南投、雲林、嘉義、
                      宜蘭地區、苗栗以北山區及澎湖
                      有局部大雨發生的機率,請注意
                      雷擊及強陣風,山區請慎防坍方
                      、落石、土石流及山洪暴發,低
                      窪地區請慎防淹水,民眾應避免
                      進入山區及河川活動。
                      大豪雨地區:高雄市、屏東縣、
                      花蓮縣、臺東縣。
強    風    特    報:颱風及其外圍環流影響,今(1
                      3)日臺東縣(含蘭嶼、綠島)
                      、澎湖縣局部地區有平均風12
                      級以上或陣風14級以上發生的
                      機率(紅色燈號)雲林縣、嘉
                      義縣、臺南市、高雄市、屏東縣
                      、花蓮縣局部地區有平均風9級
                      以上或陣風11級以上發生的機
                      率(橙色燈號),基隆市、臺北
                      市、新北市、桃園市、新竹市、
                      新竹縣、苗栗縣、臺中市、南投
                      縣、彰化縣、嘉義市、宜蘭縣、
                      金門縣、連江縣局部地區有平均
                      風6級以上或陣風8級以上發生
                      的機率(黃色燈號);今夜至明
                      (14日)晨金門縣亦有平均風
                      9級以上或陣風11級以上發生
                      的機率(橙色燈號),請嚴加防
                      範。
注  意  事  項:*今(13)日基隆北海岸、東
                        半部(含蘭嶼、綠島)、恆春
                        半島沿海及馬祖易有長浪發生
                        ;各海面及巴士海峽風浪逐漸
                        增大,易有4米以上浪高,
                        其東部及東南部沿海浪高可達
                        6米以上,請避免前往海邊活
                        動。
                      *高溫資訊:颱風環流沉降影響
                        ,今(13)日白天苗栗縣、
                        臺中市、彰化縣及金門縣為黃
                        色燈號,有局部36度以上高
                        溫,請注意。
                      *室外懸掛物、招牌、圍籬及鷹
                        架等應加強固牢,陽台之盆景
                        等應妥善放置。
                      *今(13)日東部、東南部、
                        蘭嶼、綠島及西南部沿海低窪
                        地區於颱風中心通過期間需慎
                        防海水倒灌。
                      *12日0時至13日10時
                        出現較大陣風區域如下:
                        蘭嶼14級,成功11級,臺東10級。

下次警報預定發布時間為  8月13日11時30分。

--
8/8
[圖]

8/9
[圖]

8/10
[圖]

8/11
[圖]

8/12
[圖]

8/13
[圖]

請全臺各地板友應慎嚴防災害發生。

--
※ 發信站: 批踢踢實業坊(ptt.cc), 來自: 1.169.198.54 (臺灣)
※ 作者: Matthew10244 2025-08-13 10:30:00
※ 文章代碼(AID): #1ec_Ygjy (TY_Research)
※ 文章網址: https://www.ptt.cc/bbs/TY_Research/M.1755052202.A.B7C.html
zx850408: 推1F 08/13 10:31
sophia748596: 推2F 08/13 10:31
davidwales: 有機會看到200km嗎?3F 08/13 10:31
aegis43210: 太麻里登陸預定4F 08/13 10:31
arthur01832: 持續西北西移動5F 08/13 10:31
roy384921: 綠島進眼了嗎 怎麼感覺鏡頭很冷靜
是說台北還出太陽真的是兩個世界6F 08/13 10:32
Oggy: 怎麼還在110km外?綠島、蘭嶼都進眼了8F 08/13 10:33
Lemonfish004: 綠島平均風13 陣風17+9F 08/13 10:33
Oggy: 綠島 柴口 很搖滾啊10F 08/13 10:33
lolicon: 登陸倒數了11F 08/13 10:34
ccpsdfg0121: 雷達回波看齊來好可怕12F 08/13 10:34
huangjyuan: 應該是太麻里了13F 08/13 10:34
dan5120: 跑這麼快喔14F 08/13 10:34
makswu: 富岡漁港即時影像非常搖滾15F 08/13 10:34
roy384921: 感覺是鏡頭綁的很穩16F 08/13 10:34
huangjyuan: 綠島吃眼牆 猛17F 08/13 10:34
azcooper: 蘭嶼實測沒上排行榜18F 08/13 10:34
Basket0205: 桃園晴天有雨 不過風大19F 08/13 10:34
huangjyuan: 難得蘭嶼輸綠島20F 08/13 10:35
roy384921: 對看鏡頭反而富岡猛21F 08/13 10:35
PoloHuang: 快登陸了22F 08/13 10:35
lolicon: 這時又要慶幸台北是盆地了(23F 08/13 10:35
roy384921: 蘭嶼陣風也有14-15
台北很久沒接受颱風真正考驗了24F 08/13 10:36
ouo666ouo: 時速30km,大概1 點前就要登了26F 08/13 10:38
a200ea200e: 台北最近有來一次 是哪一個?風還大到有停電27F 08/13 10:38
Imhuang: 竹苗已經開始有焚風跡象了28F 08/13 10:39
lepidoptera: 中午吃完午餐之後登陸29F 08/13 10:39
a200ea200e: 好像今年還是去年來的30F 08/13 10:39
arthur01832: 楊柳從遠洋快要東經150度形成,一路大致上向西移動31F 08/13 10:39
herculus6502: 鏡頭君:哦哦哦哦哦哦哦哦哦哦32F 08/13 10:39
arthur01832: ,今天才終於到達北緯22度33F 08/13 10:39
azcooper: 蘭嶼見過95m/s的大場面的地方34F 08/13 10:39
ouo666ouo: 其實台北大多測站也沒有G9(目前)35F 08/13 10:40
yutaka28: 95m/s真的不是只是大場面可以形容,太驚人了36F 08/13 10:40
HuangYa: 花蓮市風平浪靜 好樂迪跟威秀人潮聚集中37F 08/13 10:41
Oggy: 富岡 應該要進眼牆了38F 08/13 10:41
HuangYa: 秀泰才對39F 08/13 10:41
aegis43210: 蘭嶼要17級以上陣風才算及格40F 08/13 10:41
typhoon2010: 綠島10:10 平均風42.0 m/s 還好有強度有報到43 m/s41F 08/13 10:41
yutaka28: 台北的偏東風最強的時候是不是通常是登陸後才發生?42F 08/13 10:41
jim0619: 高雄小雨風不強43F 08/13 10:41
hyscout: 去年康芮阿 台北陣風11級刮了5小時44F 08/13 10:42
vaughn: 其實整個風季之中,也是在八月上旬這段時間的高壓,45F 08/13 10:42
a200ea200e: 對啦 康納46F 08/13 10:42
snocia: 台東市陣風超越海葵47F 08/13 10:43
seancschang: 蘭嶼在可航半圓 沒g17也算可接受吧48F 08/13 10:43
vaughn: 才比較有那種遠洋生成一路平西過來的環境49F 08/13 10:43
aegis43210: 雷達風眼轉的仍是很快,但要快點登陸才能刷紀錄50F 08/13 10:43
hcdee90: 台北去年不是才一個風超大的,但時間短雨也小51F 08/13 10:43
[圖]
TTU1999: 綠島好像跑出17+風力了53F 08/13 10:45
roy384921: 康芮對台北影響還好而已啊,上一次有比較顯著的就梅姬、蘇迪勒吧54F 08/13 10:48
kone5566938: 其實康芮最後的風,讓台北很有感….隔天的樹倒光光56F 08/13 10:49
aegis43210: 今年風季又還沒結束,搞不好九月就來一個北部有感的57F 08/13 10:50
DanasYuri: 我家鄰居印尼華僑. 來台灣7年 康芮感受最強58F 08/13 10:50
seancschang: 康芮 民生社區慘不忍睹…59F 08/13 10:50
DanasYuri: 我和她說以前還有更猛的60F 08/13 10:50
vaughn: 康芮讓雙北一大堆屋頂招牌路樹倒吶61F 08/13 10:50
hyscout: 康芮陣風11級持續時間僅次於蘇迪勒喔 比梅姬有感62F 08/13 10:50
bang59487: 北北基今天下午會達標嗎65F 08/13 10:51
hyscout: 台北樹木倒了2800棵66F 08/13 10:51
DanasYuri: 台北不少樹倒. 只能說是近年威嚇的一個Boss67F 08/13 10:51
peterlee97: 感覺移動略微減慢了68F 08/13 10:51
arthur01832: 上面這個連結是台灣颱風論壇各地風雨實況的直播畫69F 08/13 10:52
vaughn: 康苪過後的那個晚上,我有騎車繞了一下,真的很慘70F 08/13 10:52
arthur01832: 面71F 08/13 10:52
hyscout: 蘭嶼回南 平均風大幅上升到35.4m/s72F 08/13 10:52
xulzj524: 北部的風也很大73F 08/13 10:52
DanasYuri: 目前看這眼牆.. 楊柳比丹娜絲強.  雖然對流看似虛74F 08/13 10:52
vaughn: 舊招牌、鐵架,路樹倒了一大片75F 08/13 10:52
qaz12wsx45: 北北基下午沿海地區達標預測是達標了76F 08/13 10:53
CCNK: 東部要飛起來了79F 08/13 10:53
book8685: 感覺可以提早放大家走耶80F 08/13 10:54
arthur01832: 這個連結是追風達人在太麻里車站直播,風雨越來越瘋狂81F 08/13 10:54
ALPHONSE2501: James跟Mike 在太麻里車站83F 08/13 10:54
alex813: 原來追風達人有來哦84F 08/13 10:54
kevinqazwsx: 會不會達標風雨預報不是公開資料嗎85F 08/13 10:54
yutaka28: 丹納絲以西岸登陸來說已經是前幾強了86F 08/13 10:54
davidwawa: 現在這段西北西對台東市區可能有很大的影響了 保重87F 08/13 10:54
arthur01832: 上面那個連結88F 08/13 10:55
davidwawa: …89F 08/13 10:55
rober1103: 看來是太麻里附近登陸90F 08/13 10:55
dan5120: 市區還沒登現在已經很搖滾了91F 08/13 10:55
[圖]
[圖]
ALPHONSE2501: 有幾位電視台記者也來了94F 08/13 10:55
DanasYuri: 追風達人 上次丹娜絲來不及追95F 08/13 10:55
opsky17: 住利嘉的同事表示家裡停電了QQ96F 08/13 10:56
condenza: 連結無法播放誒97F 08/13 10:56
joy2105feh: 都出門上班了 不如上到完..98F 08/13 10:56
truffaut: https://meee.com.tw/HpVw6sS 台東市區99F 08/13 10:56
[圖]
mhlee: 我家的樹都被吹斷了,很怕落地窗爆掉298F 08/13 11:58
simplytony: 台北測站都已經G9了,下午G10應該可以達陣299F 08/13 11:58
wl3532: https://reurl.cc/WOx7Ex 卡大說南北眼牆都很猛300F 08/13 11:58
颱風眼從中穿過! 楊柳南北眼牆超暴力 蘭嶼、綠島雙飆破17級陣風 - 生活 - 自由時報電子報
[圖]
莊文仁/核稿編輯中颱「楊柳」快速逼近台灣,今(13日)上午10點許中心從蘭嶼與綠島之間通過,南北眼牆雙雙掃過,兩島都出現破17級陣風,顯示其威力強大。 ...

 
lolicon: ㄨㄚˊ 這樣樂透開幾 台北有測到G10嗎301F 08/13 11:58
bluelatte: 諤諤302F 08/13 12:17
※ 編輯: Matthew10244 (1.169.198.54 臺灣), 08/13/2025 14:14:00
--
作者 Matthew10244 的最新發文:
點此顯示更多發文記錄