※ 本文轉寄自 ptt.cc 更新時間: 2024-11-27 09:36:15
看板 biker
作者 標題 [閒聊] 買二手車修很多女友氣瘋了
時間 Tue Nov 26 10:43:22 2024
上網買了一台二手車15000
2016 SUZUKI NEX125
結果騎車時一直聞到汽油味
拿去評價高的白電維修
損壞的部分:
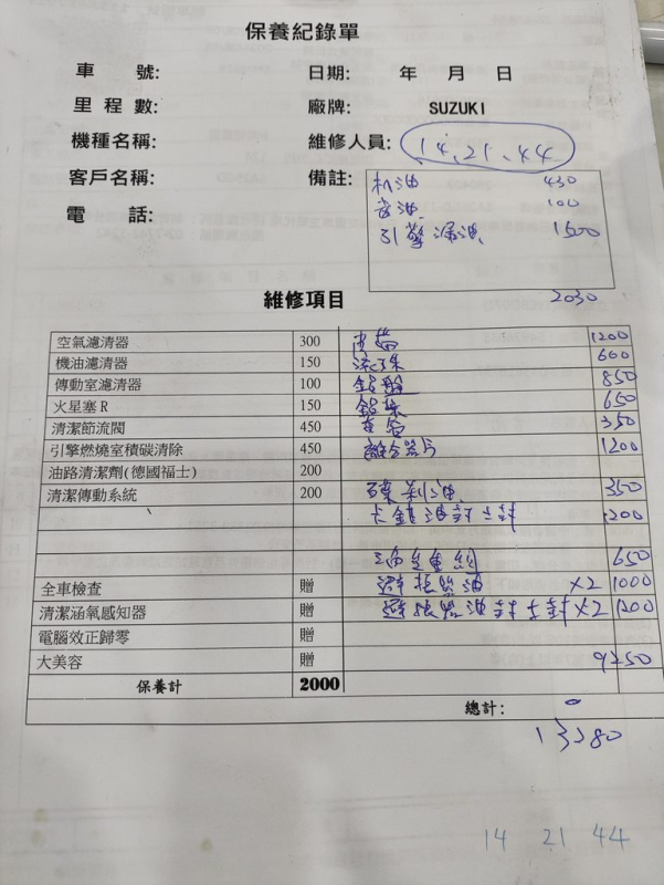
最後發現引擎漏油 1500
前插防塵套破裂、前輪卡卡(換卡前油)
順便把前插油也換了
例行性保養
大保養 2000
機油齒輪油 530
傳動
碗公吃溝、套管生鏽磨損、皮帶有裂痕
換普利珠、碗公、鋁葉、皮帶、套管
零零總總13280
我覺得單沒問題,老闆也都拿部品給我看損壞狀況告知修繕理由
https://i.imgur.com/JDDqoki.jpeg
![[圖]](https://imgur.disp.cc/CT/JDDqoki.jpeg)
女友氣瘋了,說沒人買15000還花13000修車
但是除了引擎漏油、卡鉗漏油
其他都是例行性保養阿
被罵得很委屈,我真的錯了嗎...
推 : 機油多少啊加齒輪油換到530也太多了1F 42.71.201.21 台灣 11/26 10:45
機油430 齒輪油100 還算正常吧...推 : 你買15000二手車 還求啥品質 = =2F 118.166.150.213 台灣 11/26 10:47
推 : 哪家可以pm一下嗎 謝謝 我車子也一直汽油味3F 123.194.113.114 台灣 11/26 10:47
專營SUZUKI,引擎漏油拿燈照引擎都是黑黑的汙泥就是了,老闆說是油漏出來引擎高溫蒸發→ : 看你那些也都是整理項目 也還好4F 118.166.150.213 台灣 11/26 10:48
→ : 15000的二手車才修這樣還好5F 114.36.253.205 台灣 11/26 10:48
我快被罵死了...→ : 可是你聞到汽油味 結果沒有看到汽油相關6F 118.166.150.213 台灣 11/26 10:49
引擎漏油阿推 : 齒輪油不是都50元嗎?7F 118.232.100.177 台灣 11/26 10:52
推 : 這價位的車,還能修都還可以接受8F 140.130.252.114 台灣 11/26 10:52
推 : 想貪小便宜齁9F 42.79.6.36 台灣 11/26 10:53
嗚嗚嗚噓 : 甚麼車也不講10F 219.81.160.147 台灣 11/26 10:53
NEX125※ 編輯: plzza0dogs (49.216.43.130 臺灣), 11/26/2024 10:55:22
※ 編輯: plzza0dogs (49.216.43.130 臺灣), 11/26/2024 10:55:48
推 : 機油430是店家架上的嗎?想說大多人會11F 42.71.201.21 台灣 11/26 10:55
→ : 網購條自己要的且還便宜多的機油去代工
→ : ,齒輪油100是正常的嗎好奇,我給店家
→ : 換是50
→ : 網購條自己要的且還便宜多的機油去代工
→ : ,齒輪油100是正常的嗎好奇,我給店家
→ : 換是50
→ : 換四輪的就不會被罵了15F 114.34.86.171 台灣 11/26 10:55
推 : 女友觀念要改16F 61.227.252.109 台灣 11/26 10:58
→ : 四輪買五萬修五萬 超級正常
→ : 四輪買五萬修五萬 超級正常
推 : 換個方面想,花三萬 修一萬三有比較好嗎?18F 61.61.178.46 台灣 11/26 10:59
推 : 扣掉你保養跟機油的2530,修車大概是1119F 42.71.201.21 台灣 11/26 11:01
→ : 000,如果騎起來很順就值得
→ : 000,如果騎起來很順就值得
→ : 總成本兩萬八還好啦 不過應該是事故21F 42.79.6.36 台灣 11/26 11:02
→ : 車
→ : 車
→ : 喔(GG早就再說鈴木五期Nex真的很雷,咳23F 223.137.119.130 台灣 11/26 11:02
→ : )
馬德 我不知道看哪篇說妥善率好,看到有人推才買的 恨吶~~→ : )
※ 編輯: plzza0dogs (124.219.119.163 臺灣), 11/26/2024 11:04:08
推 : 看標題還以為你很多女友25F 39.9.139.6 台灣 11/26 11:04
→ : 用自己的錢 你高興就好
→ : 用自己的錢 你高興就好
推 : 買二手車修 很多女友氣瘋了27F 42.71.201.21 台灣 11/26 11:05
推 : 中文的奧秘28F 61.227.252.109 台灣 11/26 11:09
→ : 買便宜的二手車就是這樣啊 不會看二手29F 103.150.37.80 台灣 11/26 11:18
→ : 車還買喔
→ : 車還買喔
推 : 機車直接買新的啦!買什麼NEX老車來修31F 49.216.132.134 台灣 11/26 11:22
→ : 阿母勾看起來很多是耗材類,也還好啦!
→ : 阿母勾看起來很多是耗材類,也還好啦!
推 : 二手車除非你懂,才能確定車況下手,33F 42.77.246.139 台灣 11/26 11:26
→ : 不過新車最便宜也要4、5萬了,白店這
→ : 價錢還OK
→ : 不過新車最便宜也要4、5萬了,白店這
→ : 價錢還OK
推 : 女友可以放生,花自己的錢關她什麼事?36F 49.216.189.48 台灣 11/26 11:27
→ : 不然叫她自己以後搭大眾運輸吧
車子是買給我女友騎的,她心疼我花太多錢...→ : 不然叫她自己以後搭大眾運輸吧
推 : 齒輪油不是50嗎38F 114.136.228.42 台灣 11/26 11:29
→ : 新車妥善率跟二手車的關係是?
→ : 新車妥善率跟二手車的關係是?
噓 : 車子是誰決定要買的,誰負責不是嗎40F 61.222.131.212 台灣 11/26 11:31
→ : 而且一萬五的摩托車是要期待什麼
→ : 而且一萬五的摩托車是要期待什麼
→ : 買二手機車直接預設前車主都沒在顧車42F 27.53.34.11 台灣 11/26 11:40
推 : 才買1萬5,修這樣很正常,怕是修完還43F 42.78.16.242 台灣 11/26 11:45
→ : 不正常
→ : 不正常
推 : 差不多吧 二手有些人亂改 最後花一萬多45F 218.35.173.111 台灣 11/26 11:46
→ : 修
→ : 修
推 : 2萬多買一台狀況好的車 值得啊47F 1.169.64.93 台灣 11/26 11:49
推 : 一萬五的車修這樣沒毛病阿48F 101.12.147.12 台灣 11/26 11:51
→ : 3萬換一台半新的車 還好吧49F 59.124.10.231 台灣 11/26 11:53
噓 : 女友沒出半毛錢在瘋什麼50F 39.12.2.193 台灣 11/26 11:56
→ : 除了傳動要拆,其它在買車時其實就可以察51F 27.51.64.82 台灣 11/26 12:05
→ : 覺了
我太蠢了→ : 覺了
推 : 換修理女友啊,沒事亂叫53F 36.238.178.61 台灣 11/26 12:06
→ : 干她屁事
真的 拳頭硬了→ : 干她屁事
推 : 便宜二手車我寧願找老豪邁這種耐操55F 42.75.74.218 台灣 11/26 12:07
→ : 的車
→ : 的車
推 : 一樣引擎 我2012年的V125G也是買一57F 42.72.28.156 台灣 11/26 12:11
→ : 萬三 沒啥修呢
→ : 萬三 沒啥修呢
→ : 不然買新車最便宜多少 無聊59F 203.204.109.206 台灣 11/26 12:11
→ : 錢你出的話,請女友閉嘴。60F 27.242.131.115 台灣 11/26 12:12
→ : 被女友罵是因為她覺得不需要花這麼61F 42.72.28.156 台灣 11/26 12:12
→ : 多錢 像你這種就叫多管閒事討罵 是
→ : 我我就不買只聽不講
哀 以後她的事我都裝死好了→ : 多錢 像你這種就叫多管閒事討罵 是
→ : 我我就不買只聽不講
推 : 女人只是要你陪她聊天不是要你修她64F 42.72.28.156 台灣 11/26 12:14
→ : 的車 她沒有想要解決問題 你不懂她
→ : 在氣什麼嗎?不管你修車花了多少,
→ : 都是錯的,因為你跑去解決問題了
→ : 她要怎麼抱怨?
→ : 的車 她沒有想要解決問題 你不懂她
→ : 在氣什麼嗎?不管你修車花了多少,
→ : 都是錯的,因為你跑去解決問題了
→ : 她要怎麼抱怨?
噓 : 不然你花10萬買新車啊啊69F 101.12.156.122 台灣 11/26 12:14
推 : 50、100都有吧,我是都選50的就好,40070F 223.140.177.90 台灣 11/26 12:15
→ : 0換下來還很新下次6000看看
→ : 0換下來還很新下次6000看看
推 : 這個車況能賣1W5?72F 36.227.84.96 台灣 11/26 12:23
→ celtics1997 …
推 : 看個人需求,前陣子才特地花2萬多大整修,74F 223.138.204.83 台灣 11/26 12:33
→ : 總比在路邊等救援還好吧?
→ : 總比在路邊等救援還好吧?
推 : 2W8買到整理過的125其實價錢差不多76F 110.25.161.173 台灣 11/26 12:42
推 : 不是,修車的金額不是一直都不要讓其他人77F 223.136.142.220 台灣 11/26 12:45
→ : 知道嗎?要不然怎麼趁機升級?
哀→ : 知道嗎?要不然怎麼趁機升級?
→ : 東西都不用換的二手車就不會賣15K而已= =79F 1.170.81.158 台灣 11/26 12:47
→ : 這車況賣一萬五千,你是不是沒殺價80F 223.139.195.223 台灣 11/26 12:49
→ : ,而且是買噴射的
對方唬爛嘴 說自己都保養過了zz→ : ,而且是買噴射的
→ : 為什麼不買新車?82F 223.137.84.227 台灣 11/26 13:01
很後悔 別說了qq推 : 我現在才知道換機油要430 好猛呀!83F 163.27.114.193 台灣 11/26 13:11
噓 : 你就是欠罵啊,二手車怎麼不自己騎84F 111.71.106.250 台灣 11/26 13:14
→ : 只說車款,沒說年份里程,不知道150085F 36.225.2.119 台灣 11/26 13:21
→ : 0值不值,這是成本計算問題,不是買
→ : 不買二手車的問題
補一下 2016的nex125→ : 0值不值,這是成本計算問題,不是買
→ : 不買二手車的問題
推 : 為什麼不是她買給自己騎?這樣就不會心疼88F 116.89.130.161 台灣 11/26 13:48
→ : 你了
→ : 你了
推 : 你這個單,每一項金額都含工代料XD,自90F 106.64.34.250 台灣 11/26 13:52
→ : 己會用的話,差很多,但不會就是要給人
→ : 賺
沒辦法自己修哀→ : 己會用的話,差很多,但不會就是要給人
→ : 賺
→ : 買這價位的二手車,花點錢整理耗材很93F 101.9.185.139 台灣 11/26 13:55
→ : 正常吧!沒什麼大問題
→ : 正常吧!沒什麼大問題
推 : 看你的項目都是騎久了會遇到的東西95F 114.40.139.160 台灣 11/26 13:56
推 : 哎呀,說話的藝術啦,既然是買給女友96F 118.169.76.162 台灣 11/26 14:00
→ : 騎的,跟他說花點小錢讓她舒服安全騎
→ : 比較安心,錢都小事,這樣就好了。
→ : 多哄她,車子的東西女生不見得懂,
→ : 就一直說讓她騎起來安心就好。
→ : 騎的,跟他說花點小錢讓她舒服安全騎
→ : 比較安心,錢都小事,這樣就好了。
→ : 多哄她,車子的東西女生不見得懂,
→ : 就一直說讓她騎起來安心就好。
推 : 二手車正常 我牽一台免錢的花三萬大整101F 180.217.11.103 台灣 11/26 14:03
→ : 理 整理好又是一尾活龍
→ : 理 整理好又是一尾活龍
推 : 引擎漏油?哪個部位?103F 42.77.126.175 台灣 11/26 14:13
推 : 還好吧...104F 180.176.171.110 台灣 11/26 14:23
→ : nex要買SEP的
→ : nex要買SEP的
推 : 原po這樣說,大概是這樣了,女友心境:106F 42.71.201.21 台灣 11/26 14:36
→ : 修車隨便1萬4都能丟出來,為何不送我想
→ : 要的,偏要修車(生氣
對啊,她說寧可花2萬買別台二手車(這台她覺得醜、我自作主張買的)→ : 修車隨便1萬4都能丟出來,為何不送我想
→ : 要的,偏要修車(生氣
→ : 你傳動都換一輪了保養裡面的清潔傳動還109F 220.130.145.66 台灣 11/26 14:48
→ : 要收錢..雖然只是200但都換新的還清什麼
→ : 要收錢..雖然只是200但都換新的還清什麼
→ : 你女友要騎的是新車,不是二手車,111F 223.139.195.223 台灣 11/26 14:57
沒有,她要二手的,但她覺得那台NEX很醜她不喜歡結果我自行決定...→ : 結案。112F 223.139.195.223 台灣 11/26 14:57
推 : 你女友想要的是你開車接送她,結案113F 101.12.151.32 台灣 11/26 15:01
平時都是開車的推 : 「心疼」你花太多錢,表現出來是罵死你114F 114.44.18.18 台灣 11/26 15:04
→ : 這女友讚喔
→ : 這女友讚喔
→ : 也可能是被坑,傳動那些有確定真的要換?116F 210.209.194.203 台灣 11/26 15:13
→ : 我光看到大保養就直接end了,你里程多少?
→ : 除了皮帶煞車油,其他說不定根本不用換,
前一手換過殺肉儀表(120000km)完全不准,不知道實際里程→ : 我光看到大保養就直接end了,你里程多少?
→ : 除了皮帶煞車油,其他說不定根本不用換,
→ : 牽進去修漏油,結果修了一堆其他的,嗯…119F 210.209.194.203 台灣 11/26 15:13
想說一起處理了...好像花太多了ㄞ→ : 1w3 二手車整理不是都抓快10w120F 220.132.95.162 台灣 11/26 15:14
→ : 有照片嗎?
→ : 總成本3w,比機車便宜
大哥,就是機車沒錯→ : 有照片嗎?
→ : 總成本3w,比機車便宜
→ : 八年車才剛買就花了三萬多,那乾脆花五萬123F 210.209.194.203 台灣 11/26 15:15
→ : 買台新的,不然買二手好像也沒省到…
對啊...愈想愈後悔....→ : 買台新的,不然買二手好像也沒省到…
※ 編輯: plzza0dogs (49.216.47.121 臺灣), 11/26/2024 15:19:36
→ : 實際里程不重要,重點是那套傳動的里程,125F 210.209.194.203 台灣 11/26 15:26
→ : 不過當下沒拍照或印象的話就…羅生門XD
→ : 而且有修好最重要,錢已經交出去了,只能
→ : 謹記下次不要大保養、傳動類的不要亂換。
→ : 不過當下沒拍照或印象的話就…羅生門XD
→ : 而且有修好最重要,錢已經交出去了,只能
→ : 謹記下次不要大保養、傳動類的不要亂換。
推 : 新車優先129F 114.40.174.158 台灣 11/26 15:36
推 : 看起來是因為你沒買她想要的 無解130F 223.200.105.187 台灣 11/26 16:14
→ : 不如車子自己騎 看她要哪台挑好買下
→ : 去 剩下修車保養一概不過問
→ : 不如車子自己騎 看她要哪台挑好買下
→ : 去 剩下修車保養一概不過問
→ : 二手不都要有DIY能力或不缺錢的在玩嗎,133F 36.232.193.98 台灣 11/26 16:17
→ : 就是有錢或有閒至少要有一種,都沒有被
→ : 念不是很正常。
→ : 就是有錢或有閒至少要有一種,都沒有被
→ : 念不是很正常。
推 : 這張單比較意外的是 卡鉗竟然是分解136F 223.200.105.187 台灣 11/26 16:17
→ : 換油封土封 如果狀況不怎樣 直接換
→ : 新卡鉗簡單快速效果又好XD
→ : 換油封土封 如果狀況不怎樣 直接換
→ : 新卡鉗簡單快速效果又好XD
推 : 沒什麼毛病,二手車本來就是要修,而139F 42.73.64.217 台灣 11/26 16:32
→ : 且你又沒大修引擎,這錢花一花又可以
→ : 騎好幾年,還是比新車便宜啊
→ : 且你又沒大修引擎,這錢花一花又可以
→ : 騎好幾年,還是比新車便宜啊
→ : 普利珠這麼貴喔 還是鈴木比較貴142F 111.251.10.116 台灣 11/26 16:36
→ : 前叉這樣弄是不是不如直接換新的
→ : 前叉這樣弄是不是不如直接換新的
噓 : 買車請找女朋友喜歡的144F 60.248.125.104 台灣 11/26 16:54
→ : 不是心疼你花錢 是已經跟你說醜了 還硬要145F 114.136.55.148 台灣 11/26 17:17
→ : 貪小便宜買下去 不罵你罵誰
→ : 貪小便宜買下去 不罵你罵誰
→ : 可以修好賣掉再買新的147F 125.229.253.196 台灣 11/26 17:33
推 : 你有很多錢她就不會氣了148F 111.71.73.171 台灣 11/26 17:43
推 : 換女友149F 42.75.58.31 台灣 11/26 17:47
推 : 請檢討自己 月收入要有20萬 這點修車錢150F 114.47.9.179 台灣 11/26 17:52
→ : 就不會惹怒女友了(誤
→ : 就不會惹怒女友了(誤
推 : 我買20萬歐洲車也修了20萬沒事啦152F 49.216.26.49 台灣 11/26 18:38
推 : 很多女友153F 111.254.199.64 台灣 11/26 18:40
→ : 二手車就是有待修的前車主不想修才會賣154F 36.238.91.156 台灣 11/26 18:54
→ : 掉。
→ : 不然一般人車好好的換車只是少數人。
→ : 碟煞油350前叉油1200都滿合理的價錢。
→ : 掉。
→ : 不然一般人車好好的換車只是少數人。
→ : 碟煞油350前叉油1200都滿合理的價錢。
推 : 你被灌水了,很多店家都這樣,傳動明明158F 42.73.141.142 台灣 11/26 19:04
→ : 就拆開收一次工資了,但是普利珠/盤/壓
→ : 板就一起跟皮帶換換還要灌水,珠子一百
→ : 多元而已 壓板什麼的也很便宜
→ : 就拆開收一次工資了,但是普利珠/盤/壓
→ : 板就一起跟皮帶換換還要灌水,珠子一百
→ : 多元而已 壓板什麼的也很便宜
推 : 1萬5買包(O),1萬5修車(X)162F 36.234.70.241 台灣 11/26 19:34
推 : 機車買二手...163F 36.229.221.90 台灣 11/26 19:49
推 : 只修這樣很好了164F 61.230.15.29 台灣 11/26 19:55
推 : 算合理啊 純粹是他不喜歡吧165F 114.47.23.131 台灣 11/26 20:03
推 : 問題明顯在於你自作主張地幫她選了她不166F 59.127.209.15 台灣 11/26 20:17
→ : 喜歡的車,她本來就不喜歡的前提下又多
→ : 花一筆錢去維修,只能說被罵很正常…
→ : 喜歡的車,她本來就不喜歡的前提下又多
→ : 花一筆錢去維修,只能說被罵很正常…
推 : 中古車本來就要準備錢修理,不懂車的一169F 111.83.133.67 台灣 11/26 20:33
→ : 律買新車
→ : 律買新車
推 : 想說是有幾個女友171F 223.139.40.131 台灣 11/26 20:36
→ : 意思誰叫你買新車給她 董?172F 101.12.147.28 台灣 11/26 20:47
推 : 重點根本就是原po沒問女友意見直接買了173F 223.136.94.50 台灣 11/26 20:48
→ : 女友覺得很醜的車給他騎 難怪被罵
→ : 女友覺得很醜的車給他騎 難怪被罵
推 : 車是給女友騎的,當然是挑她喜歡的車款。175F 42.77.114.62 台灣 11/26 20:58
→ : 二手車買賣資訊不透明,有很大機率要花錢
→ : 整修,還不如買新車省事(車況好+2年保固)
→ : 。買她不喜歡車款+花錢修車,她當然會不爽
→ : XD。
→ : 買給女友的東西,先確認是她喜歡的,不要
→ : 擅自就買給她,白花錢又被她嫌的半死XD。
→ : 二手車買賣資訊不透明,有很大機率要花錢
→ : 整修,還不如買新車省事(車況好+2年保固)
→ : 。買她不喜歡車款+花錢修車,她當然會不爽
→ : XD。
→ : 買給女友的東西,先確認是她喜歡的,不要
→ : 擅自就買給她,白花錢又被她嫌的半死XD。
推 : 修完了就好好騎,買二手車本來就要有準182F 42.70.190.174 台灣 11/26 21:18
→ : 備一筆錢來維修的覺悟,這台體質挺不錯
→ : 的,這次都修好之後你會慢慢愛上他。
→ : 備一筆錢來維修的覺悟,這台體質挺不錯
→ : 的,這次都修好之後你會慢慢愛上他。
推 : 有些東西不需要修 也能騎 像傳動換皮帶185F 61.231.152.218 台灣 11/26 21:24
→ : 就好了 其他也不容易壞 也能騎
→ : 很多零件 根本不用修也能騎 就是你自己
→ : 太龜毛 而且1萬5 就是代步車 騎到壞那種
→ : 你還要把他整新 會修他 就是錯的
→ : 我能理解你女友的想法 你們基礎觀念
→ : 差很多 價值觀也是
→ : 就好了 其他也不容易壞 也能騎
→ : 很多零件 根本不用修也能騎 就是你自己
→ : 太龜毛 而且1萬5 就是代步車 騎到壞那種
→ : 你還要把他整新 會修他 就是錯的
→ : 我能理解你女友的想法 你們基礎觀念
→ : 差很多 價值觀也是
推 : 哪天不愛女友了,可以買福特,更快192F 42.72.80.219 台灣 11/26 21:35
→ : 結束XD
→ : 結束XD
推 : 慎自替人做主 也是很糟糕的行為194F 61.231.152.218 台灣 11/26 21:40
→ : 說不定他想買CLBCU 你卻買買菜車給她
→ : 她不氣瘋了也很難 浪費錢嘛
→ : 說不定他想買CLBCU 你卻買買菜車給她
→ : 她不氣瘋了也很難 浪費錢嘛
推 : 你是不是沒在他身上花超過1萬3197F 101.8.41.54 台灣 11/26 21:49
→ : 很多女友198F 118.167.65.98 台灣 11/26 21:58
→ : 歷程多少?199F 39.12.19.74 台灣 11/26 22:01
→ : 修一萬五很正常200F 114.36.228.238 台灣 11/26 22:18
→ : 但是買了台要修一萬五的車不正常
→ : 但是買了台要修一萬五的車不正常
推 : 簡單啊 解決方法換女友就好了202F 114.36.193.190 台灣 11/26 22:40
推 : 買便宜二手車就是要多準備車價的總價203F 1.200.59.76 台灣 11/26 23:02
→ : 的錢準備修車啊,不然賣那麼便宜幹嘛
→ : 的錢準備修車啊,不然賣那麼便宜幹嘛
推 : 很多女友 真羨慕你205F 42.77.25.13 台灣 11/27 00:07
推 : 汽車買25修25206F 36.229.153.106 台灣 11/27 01:02
→ : 偷偷跟你說,買二手車來修都是自己會修的207F 111.255.223.89 台灣 11/27 03:48
→ : 除了引擎卡鉗以外,其他自己弄省很多
→ : 前輪卡卡換剎車油就好了?那也滿厲害的
→ : 除了引擎卡鉗以外,其他自己弄省很多
→ : 前輪卡卡換剎車油就好了?那也滿厲害的
→ : 看起來算合理 只是車況這樣買車怎沒看210F 220.134.27.242 台灣 11/27 04:19
推 : 這價格貼三萬就有新車了 而且2016的車211F 220.136.193.151 台灣 11/27 05:24
→ : 子已經9年車了 就算修好 以後基本上還
→ : 會有零件會陸續老化要維修
→ : 買車加維修費 三萬 除非你每天騎五公里
→ : 那種不然 還是買6萬前後的車子划算
→ : 子已經9年車了 就算修好 以後基本上還
→ : 會有零件會陸續老化要維修
→ : 買車加維修費 三萬 除非你每天騎五公里
→ : 那種不然 還是買6萬前後的車子划算
推 : 買台2手車修,很多女友氣瘋了 你是交了幾216F 36.234.17.29 台灣 11/27 07:07
→ : 個女友?
→ : 個女友?
--
※ 看板: Motorcycle 文章推薦值: 0 目前人氣: 0 累積人氣: 201
作者 plzza0dogs 的最新發文:
- 你這根本不是在解卦,你就只是個會丟銅板的,然後拿卦辭亂講亂套,滿嘴跑火車 占卜不合地支不定用神不看五行,連世應六親六獸都沒有,就可以唬爛一篇 大概94.87是找chatgpt唬爛出來的廢文 誰不知道 …153F 49推 15噓
- 41F 8推 4噓
- 15F 5推
- 29F 6推 4噓
- 17F 6推 4噓
點此顯示更多發文記錄
回列表(←)
分享