顯示廣告
隱藏 ✕
※ 本文轉寄自 ptt.cc 更新時間: 2013-11-11 04:30:24
看板 TY_Research
作者 keroromoa (傻傻)
標題 [情報] T值爆表8.1!海燕成為史上最強颱風之一!
時間 Thu Nov  7 19:36:28 2013


本來的標題是 [討論] 海燕是否已成為新世紀風王?
不過現在應該沒有討論的必要了XD

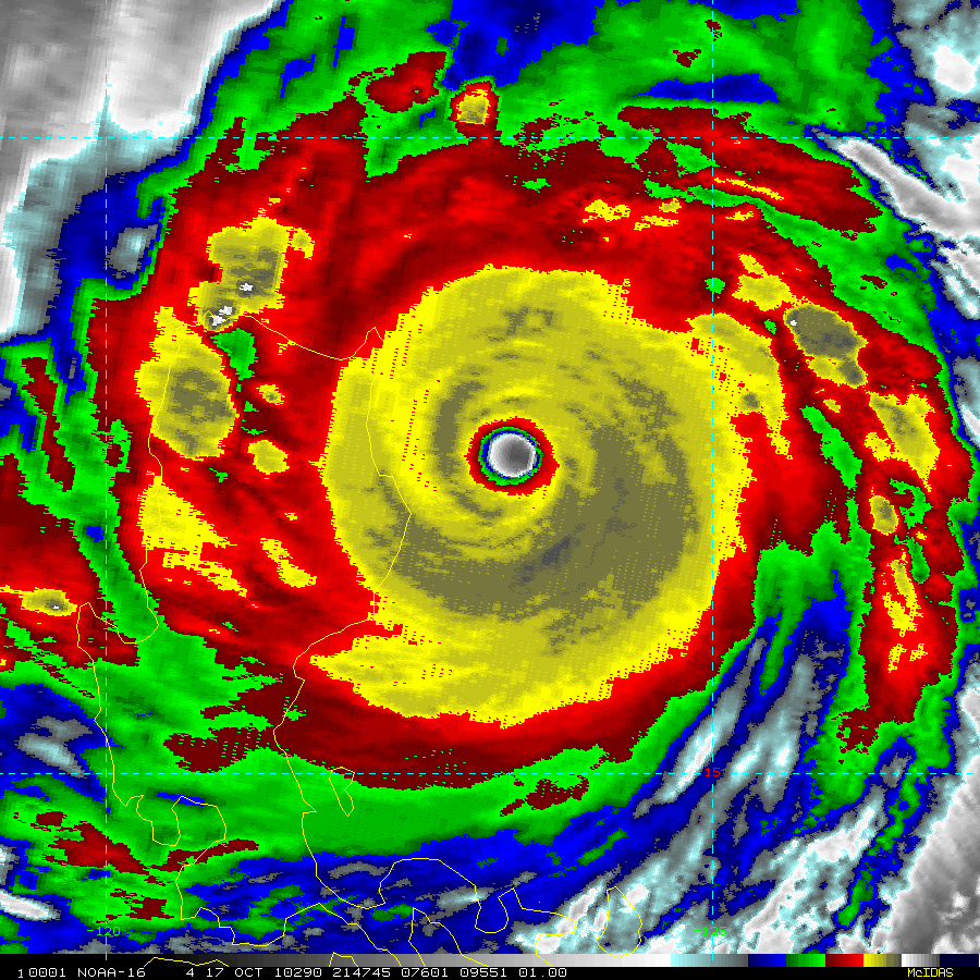
ADT有史以來第一次,雲頂溫度低達-85度C以下,T值達到爆表8.1!
http://tropic.ssec.wisc.edu/real-time/adt/odt31W-Ex.html
http://tropic.ssec.wisc.edu/real-time/adt/odt31W.html
爆表8.1圖文留存:
圖:http://ppt.cc/1jdO
文:http://ppt.cc/AkYE


   CI# /Pressure/ Vmax      CI# /Pressure/ Vmax
      8.0 / 888.3mb/170.0kt     7.5 / 905.0mb/155.0kt


    Final T#  Adj T#  Raw T#    Final T#  Adj T#  Raw T#
       8.0     8.1     8.1      7.5     7.6     7.6

 Estimated radius of max. wind based on IR : 24 km

 Center Temp : +20.6C    Cloud Region Temp : -85.2C

http://weather.noaa.gov/pub/data/raw/tp/tppn12.pgtw..txt
此外,老J的PGTW分析也是有史以來第一次分析到8.0!
TPPN12 PGTW 070927
A. SUPER TYPHOON 31W (HAIYAN)
B. 07/0832Z
C. 9.8N
D. 130.2E
E. ONE/MTSAT
F. T8.0/8.0/D1.0/24HRS  STT: D0.5/03HRS
G. IR/EIR/VIS/MSI
H. REMARKS: 03A/PBO EYE/ANMTN. WMG EYE SURROUNDED BY CMG YIELDS
AN E# OF 6.5. ADDED 1.0 FOR EYE ADJUSTMENT AND 0.5 FOR BANDING
FEATURES TO YIELD A DT OF 8.0. MET AGREES. PT YIELDS 6.5. DBO DT.
I. ADDITIONAL POSITIONS:
  07/0447Z 9.2N 131.3E MMHS
  07/0658Z 9.5N 130.8E MMHS
   UEHARA


http://www.nmc.gov.cn/publish/typhoon/typhoon_new.htm
中央气象台>> 台风 >> 台风快讯
中央气象台官方网站权威发布台风、暴雨、寒潮、高温、沙尘暴、大雾等各类灾害性天气的预报警报。提供天气预报、天气实况、降水量预报、强对流天气预报、农业气象、海洋气象、环境气象、地质灾害气象、交通气象、水文气象、数值预报及预报员交流论坛等栏目 ...
 
而NMC今晚已經率先高潮!給出了超過女帝的75m/s!(兩分鐘平均)
其他機構是否會跟進呢?就看今晚8時!(UTC+8)
时    间:  07 日 17 时
命    名: “海燕”, HAIYAN
编    号:  1330 号
中心位置:  北纬9.8度、东经130.2度
强度等级:  超强台风
最大风力:  17级以上,75 米/秒(约 270 公里/时)
中心气压:  890 hPa
参考位置:  距离菲律宾马尼拉东南偏东方向1130公里海域的海面上。
预报结论: “海燕”将以每小时35公里的速度向西北偏西方向移动,强度变化不大,将
于8日早晨到上午在菲律宾中部沿海登陆,预计登陆强度为超强台风级(17级及以上)。
登陆菲律宾后强度将明显减弱,并将于9日早晨进入南海东部海面。

(下次更新时间为7日20时10分)


比梅姬還巨大的CDO,比妮妲還強烈的CDG,
這隻Angela,Yuri,Gay,Zeb看到都要叫一聲小燕姐吧XD
Tip和Nancy要抖了嗎?

--
--
※ 發信站: 批踢踢實業坊(ptt.cc)
◆ From: 203.79.155.243
※ 編輯: keroromoa       來自: 203.79.155.243       (11/07 19:41)
aa1477888   :NMC 梅姬 72m/s1F 11/07 19:38
aa1477888   :ADT表示:頂到底啦!!!!!! 老J這城市壞掉了吧
aa1477888   :http://i.imgur.com/r3HGjnn.gif
[圖]
 
aa1477888   :我不知道該如何形容這張圖片 我已經沒有無話可說了4F 11/07 19:41
aa1477888   :我已經語無倫次了
keroromoa   :如果其他機構在8點沒有動作,我之後看到每篇TCFA或GW6F 11/07 19:43
keroromoa   :可能都會噓一次XD
keroromoa   :如果這不是新世紀最強完美風暴,那什麼才是新世紀最
keroromoa   :強完美風暴?
aa1477888   :http://i.imgur.com/A7y56n0.gif 史上第一次10F 11/07 19:46
[圖]
 
[圖]
 
[圖]
 
zadla2002   :這是啥鬼CDO...13F 11/07 19:52
aa1477888   :http://i.imgur.com/l06WdIu.jpg 最後一眼可見光14F 11/07 19:55
[圖]
 
krauserq    :http://i.imgur.com/GqkQjio.jpg15F 11/07 19:55
aa1477888   :我有預感下一報老J會理智斷線XD16F 11/07 19:56
keroromoa   :說不定老J已經偷偷派偵察機了,只是不公開而已XD17F 11/07 19:58
krauserq    :http://i.imgur.com/PaEpeBo.png18F 11/07 19:59
[圖]
 
keroromoa   :話說...大氣板突然HOT了XD19F 11/07 20:08
aa1477888   :對岸消息 PGTW/KNES/RJTD T值全都8.0了...20F 11/07 20:12
keroromoa   :據說是連Angela和Monica都沒達到過的成就...21F 11/07 20:13
Laincast    :請問他的瞬間最大風速已達龍捲風F?級 ?22F 11/07 20:21
Laincast    :http://ppt.cc/D4ka    305 km/h  相當於龍捲風F3級
Laincast    :http://ppt.cc/zwrl   維基百科也對海燕加冕稱王24F 11/07 20:28
keroromoa   :對岸消息 JMA德法分析出T=8.0! 125kts將重現?25F 11/07 20:31
==============================================================================
skn60694    :JTWC: 165kts                                       11/07 20:43
==============================================================================
q11010      :瘋了..@@26F 11/07 20:47
keroromoa   :http://ppt.cc/8b75 水氣藍眼27F 11/07 20:51
typhoonnat  :JMA給出125了?!28F 11/07 20:53
typhoonnat  :欸對  JMA真的給65m/s 125KTS
keroromoa   :還沒,可是目前JMA德法也分析出T值8.030F 11/07 20:54
keroromoa   :我一直F5都還沒刷出來QQ
skn60694    :真的125耶32F 11/07 20:55
keroromoa   :看到了,重點是125kts會維持12小時!33F 11/07 20:55
keroromoa   :準備迎接CWB的65/80!
typhoonnat  :老J給165KTS  確定追平史上最強颱Tip....35F 11/07 20:56
keroromoa   :NMC8點仍為75m/s36F 11/07 21:02
surface     :好可怕,撞上菲國不知道會有什麼可怕後果。37F 11/07 21:23
jeffh       :今年的西太平洋沒有極限!!!!!@@38F 11/07 21:29
ashley1205  :好恐怖,災情一定很慘重39F 11/07 21:29
pointa      :台灣被掃到一定放兩天假(幻想中~~~~40F 11/07 21:44
darren8221  :台灣被掃到一樣會很慘,放假與否就不用決定了41F 11/07 21:48
lwei781     :Tip 挑戰?42F 11/07 21:54
hinet2012   :台灣寧可不要放假  也不會看到燕子.  對吧43F 11/07 21:59
hinet2012   :                       不要
vandia      :可怕的美45F 11/07 22:04
orz         :想不到這麼快就出現超越號稱20世紀最強的梅姬@@46F 11/07 22:05
logdog      :Tip已挑戰成功47F 11/07 22:24
qazujm2012  :這隻根本是神的傑作48F 11/07 22:30
tcytc       :就難度來說,他還是不及梅姬,梅姬風場還大上不少49F 11/07 22:49
tcytc       :強度最多也是跟梅姬平手而已,還沒超越...
ilutc       :以CWB的標準還沒超過梅姬XD51F 11/07 22:51
DanasYuri   :海燕CDO不小.對流極強.水氣紅一圈.梅姬無法比...52F 11/08 00:04
DanasYuri   :保守一點持平. 但整個型態包含CDO.海燕是頂級的那種
Lamuneforty :燕窩54F 11/08 00:40
killseven   :    非常好55F 11/08 00:41
※ 編輯: keroromoa       來自: 203.79.155.243       (11/08 00:51)
goldmark    :170kts!56F 11/08 00:54
NCUyee      :已經給了170了嗎?57F 11/08 00:58
※ 編輯: keroromoa       來自: 203.79.155.243       (11/08 01:15)
話說...這篇上了PTT粉絲團...
既然我出名了,我看我還是自己分享一下好了XD
※ 編輯: keroromoa       來自: 203.79.155.243       (11/08 01:59)
ilutc       :我在臉書看到了XD58F 11/08 02:00
kresion     :媽我上電視惹59F 11/08 02:00
darren8221  :這就是為什麼這個板在凌晨兩點人氣還會爆升啊 XD60F 11/08 02:01
keroromoa   :還好我朋友都沒看大氣板XD61F 11/08 02:02
bor1286     :朝聖62F 11/08 02:05
EricXD      :朝聖63F 11/08 02:05
hinajian    :如果這顆來台灣又學納莉滯留兩天…應該會放假一周(汗64F 11/08 02:06
requiescatjr:朝聖65F 11/08 02:08
※ 編輯: keroromoa       來自: 203.79.155.243       (11/08 02:09)
OrangePlusXD:來朝聖~~66F 11/08 02:08
Talinwu     :朝聖推~~67F 11/08 02:11
myayay      :今天大氣版人氣激增中...記者要來抄了嗎XD68F 11/08 02:13
ilutc       :明天就會有相關新聞了69F 11/08 02:14
keroromoa   :還好吧,颱風警報期間人氣都破千起跳70F 11/08 02:15
ilutc       :關鍵字:CNN、超完美風暴、暴力燕、魔鬼燕。。。71F 11/08 02:15
darren8221  :這個如果叫他 perfect storm 我沒什麼意見...XD72F 11/08 02:16
andy2151    :朝聖推73F 11/08 02:17
Lamuneforty :還有後一篇的 燕王74F 11/08 02:17
iceogameman :朝聖。媽我在這~~~~~~~~~75F 11/08 02:18
keroromoa   :不過這應該是沒有警特報(含高溫低溫大雨強風特報)76F 11/08 02:19
keroromoa   :以來的最高人氣
ilutc       :上次梅姬登陸前夕人氣好像也沒這麼高...78F 11/08 02:20
openmy30    :朝聖!威~~~~79F 11/08 02:20
keroromoa   :因為上次還沒有PTT粉絲團?80F 11/08 02:20
ilutc       :好像是這樣XDDD81F 11/08 02:21
jpss        :標題很嚇人(O_O)82F 11/08 02:21
可是標題都是事實...
typhoon79412:如果真的來台灣 中央山脈擋的了嗎?!83F 11/08 02:22
amozartea   :朝聖推84F 11/08 02:23
typhoonnat  :媽我在這!!85F 11/08 02:23
The5F       :本世紀最強颱風86F 11/08 02:24
keroromoa   :擋不了,但這颱風因為速度快,所以雨的影響不會像莫87F 11/08 02:24
keroromoa   :拉克一樣嚴重
※ 編輯: keroromoa       來自: 203.79.155.243       (11/08 02:24)
syk5561     :朝聖 見證燕王89F 11/08 02:24
krit1009    :我深深覺得講媽我在這很土                媽我在這!90F 11/08 02:25
tsioge      :幹 威爆了 爽阿!!!!!!!!91F 11/08 02:25
kevin70     :...朝聖,感覺很可怕,希望不要過來...92F 11/08 02:26
frank123ya  :媽~ 我在這裡93F 11/08 02:28
JTWC(美軍聯合颱風警報中心)
02:00(UTC+8)評價:170kts(相當於每小時315公里)
這個評價已經超越TIP,成為[有颱風正式紀錄以來最強颱風]
(不過美軍會在明年進行事後修訂,
所以是否確定成為最強颱風要等到明年報告才會知道)
※ 編輯: keroromoa       來自: 203.79.155.243       (11/08 02:35)
fish986     :太厲害了!94F 11/08 02:29
alan90349   :老j是啥啊?95F 11/08 02:30
aa6413779   :媽我在這啊~~~96F 11/08 02:31
hyscout     :老J是JTWC關島聯合颱風警報中心97F 11/08 02:32
hyscout     :小J是JMA日本氣象廳
pomelo168168:媽我在這!!99F 11/08 02:34
NCUyee      :老J給出170了,TIP掰100F 11/08 02:34
shiftsmart  :我在這~~~~~~~~101F 11/08 02:35
zilkle      :見證歷史102F 11/08 02:37
※ 編輯: keroromoa       來自: 203.79.155.243       (11/08 02:41)
krauserq    :見證歷史!!103F 11/08 02:42
cherrywish  :見證歷史104F 11/08 02:42
eeeee118    :見證歷史!105F 11/08 02:42
ru4gun      :朝聖推~菲律賓王是不是不要打電話去關心啊106F 11/08 02:43
soulbug     :見證歷史!!!!!!!!!!!!!!!!!!!!!!!!!!!!!!!!!!!!!!!!107F 11/08 02:47
LinTom      :見證歷史啊108F 11/08 02:52
davi0621    :見證歷史!!!109F 11/08 02:54
debby91219  :見證歷史!110F 11/08 02:56
mike0514    :見證歷史!!!111F 11/08 02:56
s42497      :見證歷史!!112F 11/08 02:57
only1032    :見證歷史!                                    朝聖113F 11/08 02:59
csantony    :見證歷史!!!114F 11/08 03:02
lina7inverse:見證歷史!!!!!!!    http://i.imgur.com/ir3qrjO.gif115F 11/08 03:02
[圖]
 
VeranoDB    :見證歷史!116F 11/08 03:04
NCUyee      :我又哭了!!怎麼可以這麼感動!!!117F 11/08 03:04
ashia5287   :見證歷史!!!!!!118F 11/08 03:04
marionkimy  :見證歷史119F 11/08 03:05
askimore    :見證歷史!!!!                               菲菲掰120F 11/08 03:05
fst1985     :見證歷史!!!!121F 11/08 03:08
Okajima     :見證歷史!!!!122F 11/08 03:08
StarFisher  :見證歷史喔!!!!!!123F 11/08 03:09
fakino      :見證歷史!!!!!124F 11/08 03:09
darren8221  :見證歷史!!125F 11/08 03:12
OoJudyoO    :見證歷史!126F 11/08 03:20
luckymore   :見證歷史!!!127F 11/08 03:20
takahashino :見證歷史!!!!!128F 11/08 03:23
lina7inverse:見證歷史!!!!!!!   標題的 "之一" 居然可以拿掉了!!!129F 11/08 03:28
可是只有老J給的比TIP強耶~
※ 編輯: keroromoa       來自: 203.79.155.243       (11/08 03:29)
plastics917 :這裡好熱鬧,從來沒進來過130F 11/08 03:29
skn60694    :而且氣壓 範圍也還沒有被打破唷131F 11/08 03:31
dunking     :是否為最強還要做Best Track 光跟女帝梅姬相比 海燕132F 11/08 03:31
dunking     :其實並沒有拿到壓倒性的勝利
keroromoa   :所以只能給之一,TIP的870hpa神話依舊難以擊倒134F 11/08 03:33
peter87152  :見證歷史!135F 11/08 03:34
dunking     :不過我相信 來生應該還有機會遇到比狄普和海燕更強的136F 11/08 03:35
dunking     :颱風...尤其是海水溫度越來越高的現在 颱風的強度將
dunking     :不斷的把紀錄改寫...
lina7inverse:我同意.......希望改寫紀錄的同時傷害也能最小 @@139F 11/08 03:39
dunking     :今年的五級颱風從天兔 范斯高 利奇馬 海燕 一個比一140F 11/08 03:50
sim3000     :見證歷史!!141F 11/08 03:50
dunking     :個強......142F 11/08 03:50
littlenee   :見證歷史143F 11/08 03:51
lovelywind  :見證歷史!!!144F 11/08 03:59
xxxEVA      :見證歷史!!!145F 11/08 04:04
darkplace   :見證歷史~~~~~~146F 11/08 04:08
rumicco     :朝聖~147F 11/08 04:10
Fly17       :見證歷史!!148F 11/08 04:15
Libra5526   :見證歷史~149F 11/08 04:31
andrewlol527:....150F 11/08 04:31
lina7inverse:海燕菲律賓登陸前巔峰數值備份↓(各單位均 895hPa)151F 11/08 04:33
lina7inverse:JTWC 170kts 205kts http://i.imgur.com/ir3qrjO.gif
[圖]
 
lina7inverse:JMA   65m/s  90m/s http://i.imgur.com/a98xwjS.png153F 11/08 04:33
[圖]
 
lina7inverse:CWB   63m/s  78m/s http://i.imgur.com/ED3GKhL.png154F 11/08 04:33
[圖]
 
lina7inverse:CWB  雲圖 彩色     http://i.imgur.com/02WCJ2C.jpg155F 11/08 04:33
[圖]
 
lina7inverse:CWB       色調強化 http://i.imgur.com/4M29i0T.jpg156F 11/08 04:34
[圖]
 
lina7inverse:ADT V8.1.4 MAX 8.1 http://i.imgur.com/ST3frxa.gif157F 11/08 04:34
[圖]
 
lina7inverse:ADT V8.1.5 MAX 7.6 http://i.imgur.com/vCFVGZs.gif158F 11/08 04:34
[圖]
 
lina7inverse:4 小時後還要上班 >///< 我先中離洗洗睡喇 XDDD159F 11/08 04:34
civelant    :歷史性的一刻!160F 11/08 04:35
harry901    :我也來見證歷史XDDD161F 11/08 04:39
lina7inverse:CWB更正63m/s 78m/s http://i.imgur.com/BtIJmms.png162F 11/08 04:41
[圖]
 
KIDDLEE     :好大ㄧ球163F 11/08 04:53
kkb702564   :見證歷史!!!   她好漂亮>///<164F 11/08 04:57
shivaeye    :超大....165F 11/08 05:05
xgcloud     :媽 我在這166F 11/08 05:06
s2886149    :媽~ 我在這167F 11/08 05:11
opfish      :外星科技168F 11/08 05:15
mugenboy    :朝聖!!!169F 11/08 05:27
wacoal      :見證歷史 朝聖推170F 11/08 05:37
koi741852963:見證歷史171F 11/08 06:09
staff23     :來吧172F 11/08 06:23
batschris   :見證歷史173F 11/08 07:18
blues112358 :見證歷史!!!!174F 11/08 07:23
evamyth     :見証歷史~~~175F 11/08 07:25
oxzq        :見證歷史176F 11/08 07:31
arcticircle :其實日本也是63m/s..因為他進位到65177F 11/08 07:32
SchoolDeath :見證歷史\(〞▽〝*)/ 雖然看不太懂XD178F 11/08 07:35
arcticircle :更正..應該是64.多耶..在中間值179F 11/08 07:35
n810516     :見證歷史180F 11/08 07:46
q13461346   :見證歷史!!181F 11/08 07:47
andrewra    :見證歷史!~182F 11/08 07:49
davidwawa   :見證歷史183F 11/08 07:58
Tun         :見證歷史!!184F 11/08 08:04
dirtyblack  :見證歷史!185F 11/08 08:07
Laincast    :CNN對燕王有特別報導連線 獨魯萬市Tacloban狂風暴雨186F 11/08 08:08
approved    :現在大氣板算是起床大驚喜嗎= =187F 11/08 08:09
notebookino :見證歷史  好可怕188F 11/08 08:17
aa1477888   :ADT:公道價 8.1189F 11/08 08:19
NTOB        :見證歷史190F 11/08 08:21
seankevin   :見證歷史191F 11/08 08:21
david28941  :見證歷史!192F 11/08 08:23
logdog      :見證歷史!!193F 11/08 08:25
kaihon      :見證歷史!!194F 11/08 08:32
vearnking   :見證歷史!好險沒來台灣!195F 11/08 08:32
purple0621  :見證歷史 ^____^196F 11/08 08:32
eisenccw    :朝聖 ~ 見證歷史 ~~~197F 11/08 08:33
GN02298083  :見證歷史198F 11/08 08:36
nienya      :見證歷史~!199F 11/08 08:38
shihshih3   :朝聖~~見證歷史200F 11/08 08:40
daron       :見證歷史  硬碟壞了,燕王出現~~哭了~201F 11/08 08:41
asklove     :見證歷史!202F 11/08 08:42
keroromoa   :可以請d大分析海燕為何那麼強嗎XD203F 11/08 08:42
bestbadman  :見證歷史204F 11/08 08:44
daron       :我硬碟現在搶救中,可能要修到12月,因為有好幾T資料205F 11/08 08:46
mars1314    :見證歷史206F 11/08 08:46
keroromoa   :好幾T...保重QQ207F 11/08 08:47
daron       :如果修不好,打擊會很大,我會耍自閉一陣子XD208F 11/08 08:47
daron       :我觀察的追風網址資料都在硬碟裡,這隻我完全跟不到
daron       :QQ
answer1213  :見證歷史!!211F 11/08 08:49
y2323333    :見證歷史!!!212F 11/08 08:51
warkr16     :見證歷史!!!!213F 11/08 08:51
eon4        :剛剛告訴老爸這消息,老大很不屑的說小時候遇過每秒214F 11/08 08:51
eon4        :接近100M的,不過老人家的記憶力應該..XDXD
keroromoa   :QQ216F 11/08 08:52
aa1477888   :兩分鐘平均風的時代?217F 11/08 08:53
VVUVV       :推~~218F 11/08 08:56
aa1477888   :http://goo.gl/h8DF0b219F 11/08 08:56
guteres     :見證歷史!!!!!220F 11/08 08:56
aa1477888   :回應是2007年 沒想到才2013就兩個了221F 11/08 08:56
punkdog     :見證歷史222F 11/08 08:58
Hscandal    :見證歷史!!!!!!!!!223F 11/08 09:00
shadowkai   :見證歷史     !!!     媽我在這!!224F 11/08 09:07
justlovegirl:見證歷史!!225F 11/08 09:08
a410046     :不要來台灣阿~~226F 11/08 09:09
overseaking :見證歷史…好想轉八卦板XD227F 11/08 09:12
acidrain    :最強,沒有之一!228F 11/08 09:17
james80522  :見證歷史229F 11/08 09:17
yl931905    :見證歷史!!230F 11/08 09:18
sakuya312108:見證歷史!!231F 11/08 09:19
Mudu        :見證歷史!!232F 11/08 09:20
chanjay     :見證歷史233F 11/08 09:24
fishkyle    :見證歷史!!234F 11/08 09:24
chian1983   :見證歷史235F 11/08 09:27
qoobaa      :見證歷史!!236F 11/08 09:28
W80RAH      :見證歷史!!237F 11/08 09:28
morphyster  :見證歷史!238F 11/08 09:30
kana0228    :見證歷史!239F 11/08 09:30
applejone   :見證歷史!!240F 11/08 09:32
sqr         :見證歷史!!!!!241F 11/08 09:36
missgoogle  :見證歷史!242F 11/08 09:39
aorist      :見證歷史!!!243F 11/08 09:40
hop71120    :見證歷史!!244F 11/08 09:46
nymphr      :見證歷史!!245F 11/08 09:46
Wcw5504     :見證歷史!!246F 11/08 09:48
bobee       :見證歷史! 居然比傳說中的Tip厲害嗎?247F 11/08 09:50
Liumi       :見證歷史!!!!!     媽我在這/~~~248F 11/08 09:53
henry200323 :見證歷史249F 11/08 09:55
fishrimp    :見證歷史!!!!250F 11/08 09:55
WuCH1022    :見證歷史!!!!!  居然連狄普也超越了251F 11/08 09:56
monit1003   :見證歷史!!!!252F 11/08 09:56
jien        :見證歷史!!!~~~!!!!!253F 11/08 09:57
redblouse   :見證歷史!254F 11/08 09:59
hskk        :見證歷史!!!!! 朝聖燕王~255F 11/08 09:59
Laincast    :狄普最巔峰時在海上 燕王這次是巔峰撞陸 燕王獲勝256F 11/08 09:59
speedman    :朝聖阿~~257F 11/08 09:59
mustangccx  :紅的顯眼 梅姬怎麼想都是21世紀258F 11/08 10:00
從色調強化雲圖和底層掃描顯示,梅姬的對流和底層眼牆跟海燕完全無法相比,
海燕顛峰在所有機構的分析法全部給予最高評價的T值8.0,
這在之前沒有任何一個颱風能做到。
linuz       :見證歷史!!259F 11/08 10:02
gary5034    :見證歷史  蝴蝶姊姊我愛妳260F 11/08 10:04
johtom811113:見證歷史 好恐怖ㄚㄚㄚ261F 11/08 10:05
※ 編輯: keroromoa       來自: 203.79.155.243       (11/08 10:09)
rojin       :見證歷史!!                               朝聖來的262F 11/08 10:07
seti        :見證歷史!!   magic!263F 11/08 10:09
riddlevii   :見證歷史。        好大的颱風啊!!!264F 11/08 10:10
Laincast    :見證歷史!!!白環燕王誰能辦到 女帝不過是我老婆265F 11/08 10:11
Navi        :見證歷史!!266F 11/08 10:14
coolautumn  :見證歷史!!! 恐怖海燕…267F 11/08 10:15
mhmichelle  :見證歷史 朝聖推!!!268F 11/08 10:17
kim79923    :見證歷史 ((踩269F 11/08 10:19
no5566      :這支真的敲恐怖270F 11/08 10:19
amnotu      :見證歷史  收精華區~271F 11/08 10:20
loneblackcat:見證歷史272F 11/08 10:23
leged       :見證歷史!!!273F 11/08 10:26
Laincast    :這篇請收精華區274F 11/08 10:26
sysor       :見證歷史!!                              媽!我在這275F 11/08 10:26
nosay       :好威 ~ 朝聖276F 11/08 10:28
realay      :見證歷史!!277F 11/08 10:28
t81238123   :推歷史!!!!!!278F 11/08 10:32
LOVEMOON3427:見證歷史!!           媽我在這ㄚㄚㄚ279F 11/08 10:32
mykuririn   :280F 11/08 10:33
dj720c      :見證歷史!!281F 11/08 10:33
MonDaNai    :好恐怖哦~!282F 11/08 10:33
waderu      :朝聖, 明天過後前最後一推, 現在該做什麼準備的卦?283F 11/08 10:37
ShuiLing    :見證歷史!!!!!284F 11/08 10:38
criesout    :見證歷史!!285F 11/08 10:38
a880338     :見證歷史!286F 11/08 10:38
lahiboy     :見證歷史!!287F 11/08 10:40
LearnRPG    :見證歷史288F 11/08 10:40
f204137     :見證歷史   見證史上最強 燕王289F 11/08 10:40
r1239386    :在FB看到有人PO超大颱風圖 來朝聖!!290F 11/08 10:41
storge      :見證歷史!!291F 11/08 10:44
oooAGooo    :見證歷史!!292F 11/08 10:47
ms0344918   :Magic Show Time293F 11/08 10:48
likeme246   :見證歷史!!294F 11/08 10:50
genius51224 :見證歷史295F 11/08 10:52
revorea     :見證歷史!!296F 11/08 10:52
bcismylove  :見證歷史!!297F 11/08 10:53
Harry384    :朝聖!298F 11/08 10:54
skykof      :見證歷史!!299F 11/08 10:55
wasitora    :朝聖!!!300F 11/08 10:55
aramaram    :見證歷史!! 朝聖301F 11/08 10:56
dcfc        :見證歷史,從來沒進來過302F 11/08 10:57
rayhsu      :見證歷史!! 朝聖推303F 11/08 10:57
dreamkid    :304F 11/08 11:00
orgysolitude:見證歷史!!305F 11/08 11:00
JECDong     :見證歷史!!  ˙w˙306F 11/08 11:01
PaganTsai   :見證歷史!!田馥甄我愛你!307F 11/08 11:03
newyanew    :見證歷史!!308F 11/08 11:05
Knightaco   :見證歷史!!  跟著鄉民進來看熱鬧的309F 11/08 11:06
fox122886   :http://ppt.cc/Yoi~    NBA的WADE都發表相關言論了耶310F 11/08 11:07
你也懂色調強化雲圖?Wade:略懂 XDD
specialp0130:見證歷史311F 11/08 11:11
linjaha     :見證歷史312F 11/08 11:12
f051372     :求超清晰雲圖給我這個外行的朝聖313F 11/08 11:14
lineage0916 :這個颱風有超越狄普嗎?314F 11/08 11:14
smile8167   :特地來見證歷史 媽我在這!!315F 11/08 11:14
dreamkid    :這一張好恐怖QQ http://i.imgur.com/sETUiZr.jpg316F 11/08 11:18
[圖]
 
對比一下卡大之前存的梅姬http://ppt.cc/1jAr
rock77606   :見證歷史!! 媽啊好大 = =317F 11/08 11:20
WeGoYuSheng :見證歷史...318F 11/08 11:31
WTFisthatlan:阿母 我在這319F 11/08 11:32
bakecrab    :見證歷史!!!!!320F 11/08 11:34
p3          :見證歷史..留個紀錄321F 11/08 11:35
Rothur      :見證歷史!!!!322F 11/08 11:40
vinniv      :見證歷史!!      Jocelyn我愛妳~~323F 11/08 11:40
acceline    :見證歷史!! 朝聖推324F 11/08 11:41
withjusaka  :朝聖~~見證歷史!!325F 11/08 11:41
MP345       :見證歷史!!326F 11/08 11:42
wwwppt      :見證歷史!327F 11/08 11:49
vi000246    :見證歷史328F 11/08 11:52
zxc445567   :媽我在這!!!329F 11/08 11:52
catv        :見證歷史!朝聖!!! 媽我在這裡!!!330F 11/08 11:54
※ 編輯: keroromoa       來自: 203.79.155.243       (11/08 11:58)
※ 編輯: keroromoa       來自: 203.79.155.243       (11/08 12:00)
XP1         :喔天吶 太可怕了 最新傳回 http://ppt.cc/OfDk331F 11/08 12:00
[圖]
 
Racingmania :見證歷史332F 11/08 12:03
ariel8082   :朝聖!333F 11/08 12:04
lclc8501    :哥也見正到歷史里程碑啦...334F 11/08 12:07
RitsuN      :朝聖!!335F 11/08 12:16
Hurwitz     :太恐怖了吧...336F 11/08 12:18
secret0409  :朝聖337F 11/08 12:19
Laincast    :原來典韋也是燕王的忠實粉絲  改投靠燕王麾下了338F 11/08 12:20
RenChing    :見證歷史呀339F 11/08 12:23
lauto       :見證歷史!!340F 11/08 12:23
whalebaby   :見證歷史!!341F 11/08 12:30
purin820611 :見證歷史!!342F 11/08 12:30
Shungfish   :見證歷史!!343F 11/08 12:33
gmoz        :\0.0/344F 11/08 12:42
kaijai10439 :見證歷史!!345F 11/08 12:46
sqr         :第一次看到颱風如此"正圓"346F 11/08 12:54
iambingjing :海燕會不會破Nancy的每秒100m.347F 11/08 12:55
Jellyfish326:見證歷史,朝聖推!!!!!!!!!348F 11/08 12:58
jonsauwi    :見證歷史,這也太強了!!349F 11/08 13:01
fjucharlie  :就算放兩天假我也不要他來台灣 這太可怕了lol350F 11/08 13:04
evanzxcv    :南施的100m/s絕對有灌水啦...跟其他機構數據差太多351F 11/08 13:05
Ipixlr      :見證歷史!!352F 11/08 13:18
ice0514     :見證歷史!!353F 11/08 13:19
jimeswuhan  :見證歷史!!!354F 11/08 13:23
z7669771    :見證歷史!!355F 11/08 13:24
iambingjing :南施把可以承受85km/s的風速計都被吹壞了 只好給100.356F 11/08 13:30
humbug      :見證歷史!!357F 11/08 13:45
d6420       :見證歷史!!358F 11/08 13:49
timking     :朝聖.....別來就好~359F 11/08 13:51
SonyF800    :見證歷史!!360F 11/08 13:51
wayne51605  :見證歷史!!!!!361F 11/08 13:58
bboyallcome :見證歷史362F 11/08 14:00
ru8xjp6     :見證歷史!!363F 11/08 14:01
people23871 :見證歷史!!364F 11/08 14:01
joseph198909:真的超級興奮的 見證歷史的一刻365F 11/08 14:08
KIO623      :見證歷史!!366F 11/08 14:16
nadon       :見證歷史!!367F 11/08 14:36
fspmlp      :見證歷史!!拜託不要轉向來台灣= =368F 11/08 14:38
poenan      :見證歷史   好險沒來台灣 好好的往西方去吧369F 11/08 14:39
bbace       :見證歷史!! 朝聖~370F 11/08 14:44
nojoewu     :見證歷史!!371F 11/08 14:44
swt24090    :見證歷史!! 朝聖~372F 11/08 14:56
xdbutterfly :見證歷史!! 朝聖!!!373F 11/08 15:19
ray01080    :見證歷史!!~374F 11/08 15:20
lucywhite   :見證歷史~超強大颱風!還好沒來台灣~375F 11/08 15:35
SANYOII     :見證歷史!! 朝聖....376F 11/08 15:37
K122324090  :見證歷史!! 朝聖!!!377F 11/08 15:47
cafealley   :見證歷史!! 朝聖378F 11/08 15:53
ray1286     :見證歷史!!!379F 11/08 15:54
zapandaya   :見證歷史!!來朝聖~380F 11/08 16:00
mogreat     :見證歷史!!381F 11/08 16:17
maverick01  :見證歷史!382F 11/08 16:30
chichif4    :見證歷史!!383F 11/08 16:31
ke122372    :見證歷史!!384F 11/08 16:34
ning0201    :見證歷史!! 護國神颱!!385F 11/08 16:38
stage050109 :見證歷史!!386F 11/08 16:40
kanjohn     :親身見證歷史~387F 11/08 16:53
ringcup     :見證歷史388F 11/08 16:54
pllokk      :見證歷史!! 朝聖~~389F 11/08 16:58
Vinir       :見證歷史!! 朝聖390F 11/08 17:00
DanasYuri   :海燕各數據和條件很好. 德法就可能破391F 11/08 17:04
lordwill    :太強啦  媽我在這392F 11/08 17:30
gdm0037     :見證歷史!!我在這393F 11/08 17:32
hotmimi     :媽~我在這394F 11/08 17:40
aaawu       :媽~我也來了395F 11/08 17:46
newgpx      :沒來過本板 過來見證歷史396F 11/08 18:33
apek        :見證歷史!!397F 11/08 18:43
rich7412    :見證歷史!!   媽~我在這398F 11/08 18:47
sunanne     :YA~見證歷史399F 11/08 19:18
amALu       :見證歷史!!400F 11/08 19:40

--
※ 看板: PttFB 文章推薦值: 11 目前人氣: 0 累積人氣: 13867 
※ 本文也出現在看板: P_qman FW TyPhoon Gossiping PttHot
作者 keroromoa 的最新發文:
點此顯示更多發文記錄
分享網址: 複製 已複製
( ̄︶ ̄)b hippo916, Sifox, tsukiyumi, lolki, qwe2013 說讚!
Knuckles 轉錄至看板 TyPhoon (使用連結) 時間:2013-11-08 11:45:07
1樓 時間: 2013-11-08 12:34:07 (台灣)
  11-08 12:34 TW
賓賓呢?要人道救援了嗎
2樓 時間: 2013-11-08 12:50:14 (台灣)
  11-08 12:50 TW
後天?
3樓 時間: 2013-11-08 12:51:13 (台灣)
  11-08 12:51 TW
見證歷史!!
4樓 時間: 2013-11-08 12:55:08
  11-08 12:55
見證歷史!!
5樓 時間: 2013-11-08 12:56:51 (台灣)
  11-08 12:56 TW
見證歷史!!
6樓 時間: 2013-11-08 13:10:15 (台灣)
  11-08 13:10 TW
見證歷史!!
7樓 時間: 2013-11-08 13:16:13 (台灣)
  11-08 13:16 TW
見證歷史!!
8樓 時間: 2013-11-08 13:25:09 (台灣)
  11-08 13:25 TW
見證歷史!!
9樓 時間: 2013-11-08 13:40:08 (台灣)
  11-08 13:40 TW
見證歷史!!
10樓 時間: 2013-11-08 13:44:15 (台灣)
  11-08 13:44 TW
見證歷史!!
11樓 時間: 2013-11-08 13:45:22 (台灣)
  11-08 13:45 TW
見證歷史!!!!
12樓 時間: 2013-11-08 14:09:32 (台灣)
  11-08 14:09 TW
見證歷史
13樓 時間: 2013-11-08 14:18:06 (台灣)
  11-08 14:18 TW
見證歷史!!!!!
14樓 時間: 2013-11-08 14:29:36 (台灣)
  11-08 14:29 TW
CNN主播:「海燕肯定是今年最強的颱風,氣象專家還告訴我們,這可能是人類史上最強的颱風。」
15樓 時間: 2013-11-08 14:33:48 (台灣)
  11-08 14:33 TW
見證歷史!!
17樓 時間: 2013-11-08 15:55:48 (台灣)
  11-08 15:55 TW
見證歷史!!
18樓 時間: 2013-11-08 17:32:08
  11-08 17:32
見證歷史!!
19樓 時間: 2013-11-08 18:19:09 (台灣)
  11-08 18:19 TW
矮鵝~~~~塊陶阿~~~~~~~~~~
20樓 時間: 2013-11-08 19:49:00 (台灣)
  11-08 19:49 TW
見證歷史!!
21樓 時間: 2013-11-08 20:48:44 (台灣)
  11-08 20:48 TW
見證歷史!!!!
22樓 時間: 2013-11-09 11:49:23
  11-09 11:49
見證歷史!!
23樓 時間: 2013-11-09 15:25:52 (台灣)
  11-09 15:25 TW
見證歷史!!
24樓 時間: 2013-11-09 17:02:23 (台灣)
  11-09 17:02 TW
見證歷史!!
25樓 時間: 2013-11-10 15:34:19 (台灣)
  11-10 15:34 TW
見證歷史!!
26樓 時間: 2013-11-10 15:36:07 (台灣)
  11-10 15:36 TW
今天才知道> <  沒追到0.0... 好可惜 最強的颱風=((
27樓 時間: 2013-11-10 22:40:32 (台灣)
  11-10 22:40 TW
今天報載:它殺掉了一萬個菲律賓人!
r)回覆 e)編輯 d)刪除 M)收藏 ^x)轉錄 同主題: =)首篇 [)上篇 ])下篇