回看板
Disp BBS
作者
kadar
(卡卡達達)
標題
[颱風] 哈隆颱風投落送數據
時間
Tue Oct 7 15:28:33 2025
日本氣象廳委託名古屋大學在今天執行投落送
https://x.com/TRCatYNU/status/1975398852158206146
日本氣象廳也在中午12點公佈投落送實測資料
https://www.wis-jma.go.jp/d/o/RJTD/Alphanumeric/Upper_air/TEMP_DROP/20251007/
Index of /d/o/RJTD/Alphanumeric/Upper_air/TEMP_DROP/20251007
(RSMC的OpenData有存取時限,請留意+自行備份)
(有興趣的板友可以自行用BUFR分析)
ECMWF免費分析器:
https://codes.ecmwf.int/bufr/validator
ECMWF | BUFR validator
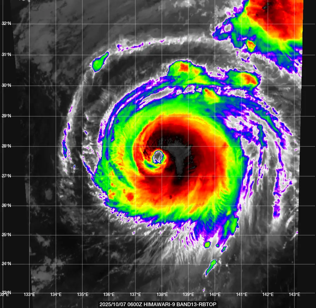
第一次的回傳結果在眼內側得中心最低氣壓約963百帕
https://i.meee.com.tw/MU2sFXf.jpg
第一次數據回傳結果後約50分鐘,投落儀在中心測得960百帕
https://i.meee.com.tw/RdDJaPu.jpg
感謝krichard2013大大做出投落送位置疊加雲圖的示意圖
https://i.meee.com.tw/KsUUGQX.jpg
最後一次在0620Z所測得最低中心氣壓為959百帕
https://i.meee.com.tw/JNUXnlf.png
種種數據顯示,哈隆颱風正在穩定降壓,
各機構推測的快速增強是被實測證據所證實。
而各機構在06Z的分析中也有反應強度上的調整,各機構06Z評級如下:
機構代號 T指數 CI指數
KNES 5.5 5.5
PGTW 5.0 5.0
RJTD 5.0 5.0
RCTP 5.0 5.0
BABJ - 5.5
https://i.meee.com.tw/TxpwtsT.png
https://i.meee.com.tw/mAr8DTq.png
https://i.meee.com.tw/22v3TxJ.png
最近有安排去日本的朋友,請留意JMA的最新天氣預測與當地告警。
--
※ 發信站: 批踢踢實業坊(ptt.cc), 來自: 59.127.163.9 (臺灣)
※ 作者:
kadar
2025-10-07 15:28:33
※ 文章代碼(AID): #1evC4awx (TY_Research)
※ 文章網址:
https://www.ptt.cc/bbs/TY_Research/M.1759822116.A.EBB.html
※ 編輯: kadar (59.127.163.9 臺灣), 10/07/2025 15:44:47
※ 編輯: kadar (59.127.163.9 臺灣), 10/07/2025 16:35:13
推
aegis43210
: 極向輻散明天達到急流程度,但同時帶來乾空氣和垂直
風切
1F 10/07 17:54
推
heaventrain
: 在高緯度上顛峰真傷心
3F 10/07 18:46
推
DanasYuri
: 中午左右 投落送959.0hPa
換算後 959.0
4F 10/07 21:41
推
jimmy415
: 中午那時候可以用氣壓粗略推估100-105kt
6F 10/07 21:48
※ 編輯: kadar (59.127.163.9 臺灣), 10/08/2025 09:44:56
※ 編輯: kadar (59.127.163.9 臺灣), 10/08/2025 13:51:30
--
作者 kadar 的最新發文:
+8
[新聞] SM攜手微博 全面開放「二次創作音樂」 - KoreaStar 板
作者:
kadar
114.137.239.58
(台灣)
2026-01-17 21:03:16
17F 8推
+6
[新聞] 韓國政府將推動恢復9·19軍事協議 - Military 板
作者:
kadar
39.9.226.173
(台灣)
2026-01-14 17:20:58
10F 6推
+25
[新聞] 韓統一部:金正恩憂遭斬首 換3名維安部長 - Military 板
作者:
kadar
39.9.226.173
(台灣)
2026-01-13 22:10:43
中央廣播電台 記者黃凡甄、宋皖媛 南韓當局今天(13日)表示,北韓領導人金正恩近期撤換了3名身邊的高階維安人員,顯示 這位獨裁者可能對暗殺行動感到日益擔憂。 法新社報導,南韓統一部根據去年10月北韓 …
41F 25推
+29
[新聞] 李:對中日爭端關心但不介入 望圓滿落幕 - Military 板
作者:
kadar
39.9.226.173
(台灣)
2026-01-13 13:01:24
韓民族日報 許英智記者 韓日首腦會談前夕,韓國總統李在明明確表示:「對韓國而言,與日本的關係和與中國的關 係同樣重要。」他指出,中日對立不利於東北亞的和平與穩定,期待兩國通過對話圓滿解決 問題。 李 …
69F 31推 2噓
+22
[閒聊] 潔西卡翻唱少女時代歌曲串燒引正反評論 - KoreaStar 板
作者:
kadar
104.28.200.15
(台灣)
2026-01-11 22:25:04
少女時代前成員潔西卡在巡迴演出第一站安排了少女時代歌曲串燒。 演出片段經粉絲在小紅書、Twitter等平台上傳後,迅速引起許多正反評論。 Gee Genie The Boys+I Got A Boy …
61F 22推
點此顯示更多發文記錄