回看板
Disp BBS
看板
TY_Research
作者
kadar
(卡卡達達)
標題
Re: [颱風] 2526 鳳凰
時間
Sun Nov 9 06:25:14 2025
昨天下午五點半的SAR命中中心
平均風速在90KTS左右
https://i.imgur.com/5rxX6ZN.jpeg
https://i.imgur.com/k1VXcAm.jpeg
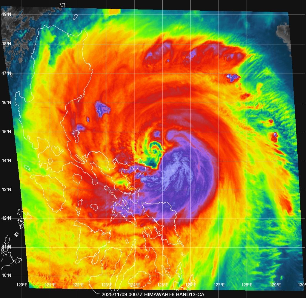
一個晚上的時間移動速度很快 已經快登陸菲律賓陸地
底層的眼還是沒整好
https://i.imgur.com/GscnNwa.jpeg
ADT昨晚一度高潮 但是深度學習的DPRINT不這麼認為
DPRINT在1830Z給的分析只有110 KTS的強度
同時段的ADT在1730Z給的強度來到146KTS
明顯有高估的情形
https://i.imgur.com/YIiJk8P.jpeg
各機構18Z給予的分析如下
機構代號 T指數
PGTW 6.0
RJTD 5.5
RCTP 6.0
BABJ 6.0
KNES 6.0
從12Z的數值預報來看
GFS的系集平均變動還是不大
但是過菲律賓進入南海東北部海域後
到被推著走到消散這段期間 離港澳比較靠近
倒是決定性預報蠻有趣的 殘骸被槽線帶著走
https://i.imgur.com/RVshnB2.jpeg
對台灣的降雨預測也是著重在槽線南下後
台灣東北部迎風面的降雨
https://i.imgur.com/AWSQq1V.jpeg
EC的決定性預報還是維持在通過台灣海峽
沿著西部沿海北上
系集平均則是因為北上到一半因為結構與環境不佳
被槽線推到登陸 但還是有一部分成員支持完美台海
https://i.imgur.com/ipOLUjy.jpeg
決定性預報的雨區預測
估計強降雨區都在台灣東北部地區
https://i.imgur.com/IBTcmn7.jpeg
系集平均則因為系統有登陸 東南部也有明顯雨勢
由於系集認為鳳凰會死在東山區
對當地降雨預測的持續時間耶認為較長
https://i.imgur.com/ACv3cIo.jpeg
AIFS的系集則認為會死在台灣外海
但決定性預報仍支持從屏東登陸
但強度還是不強 雨區預報著重在東北季風的交互作用
https://i.imgur.com/skJK5rY.jpeg
FNV3總體而言的強度預測還是沒有達到預期
在鄰近登陸的情況之下已經錯過認為的巔峰點
也難以達到
https://i.imgur.com/IUXrkJD.jpeg
AI的決定性預報仍然是支持登陸
但總體而言系集跟決定性預報不怎麼看好強度
這取決於離開菲律賓後北上的過程中
受高風切的影響、冷空氣南下捲入影響結構以及低海溫
環境難以支持強度的維持與結構的重整
https://i.imgur.com/XZ1SgJc.jpeg
其他模式的話
HFSA似乎與中國的全球模式重合在汕頭一代登陸
然後過台灣海峽 但這型態還能維持在TS左右的強度
估計遭殃的有可能是台灣西半部
https://i.imgur.com/yfSQv36.jpeg
https://i.imgur.com/OAwXUL6.jpeg
區域模式認為影響期間在13號以後
明後天再來看區域模式怎麼理解的好了
--
※ 發信站: 批踢踢實業坊(ptt.cc), 來自: 111.255.194.90 (臺灣)
※ 作者:
kadar
2025-11-09 06:25:14
※ 文章代碼(AID): #1f3yDChN (TY_Research)
※ 文章網址:
https://www.ptt.cc/bbs/TY_Research/M.1762640716.A.AD7.html
※ 同主題文章:
[颱風] 2526 鳳凰
11-06 06:30
kadar
Re: [颱風] 2526 鳳凰
11-06 16:16
kadar
Re: [颱風] 2526 鳳凰
11-07 07:52
kadar
Re: [颱風] 2526 鳳凰
11-07 16:02
kadar
Re: [颱風] 2526 鳳凰
11-08 10:02
kadar
Re: [颱風] 2526 鳳凰
11-08 20:20
kadar
Re: [颱風] 2526 鳳凰
11-09 06:25
kadar
Re: [颱風] 2526 鳳凰
11-09 11:22
kadar
Re: [颱風] 2526 鳳凰
11-09 17:13
kadar
Re: [颱風] 2526 鳳凰
11-09 22:29
kadar
Re: [颱風] 2526 鳳凰
11-10 05:06
kadar
Re: [颱風] 2526 鳳凰
11-10 09:42
kadar
※ 編輯: kadar (111.255.194.90 臺灣), 11/09/2025 06:27:28
推
herculus6502
: 頭推
1F 11/09 06:36
推
wond94011
: 平安最重要
2F 11/09 06:37
推
servert
: 推 謝謝
3F 11/09 06:51
推
joexnozomi
: 好扯 會不會桃園登入啊?
4F 11/09 07:00
→
dildoe
: peak已過開始要下山了
5F 11/09 07:16
推
WCTB
: 有沒有可能再走快一點
6F 11/09 07:17
推
lantistseng
: 感謝
7F 11/09 07:18
推
iorittn
: 到台灣已經是TD了
8F 11/09 07:25
推
cckhyofg
: 可憐的麵糊
9F 11/09 07:30
推
sunnylaba
: 麵糊
10F 11/09 07:31
推
mepatn
: 麵糊多揉幾次也是會成形的
11F 11/09 07:35
→
airua
: 等登出菲律賓的前後,差不多可以開樂透盤了吧
12F 11/09 07:36
推
ekin1983
: 11/11晚上從日本回台灣 希望不會被影響
13F 11/09 07:42
推
Eeli2008
: 祝福被取消
14F 11/09 07:55
推
WusoAiwen
: 拜託最好強度一直減
15F 11/09 07:56
噓
p0916336248
: 說麵糊的 到時候就別喊要放假
16F 11/09 08:06
推
proman614
: AI都蠻穩定南部一帶登陸 傳統模式大概之後還是會跟
進吧
看各機構未來幾報登陸點會不會一直往南修
https://i.imgur.com/Iy0xATF.png
17F 11/09 08:07
→
andlines
:
https://i.mopix.cc/1GP0Dy.jpg
21F 11/09 08:17
→
youngscott
: 可憐的麵糊連發展機會都無法把握 一生就這樣了
22F 11/09 08:21
→
embeth0925
: 還在麵糊…….
23F 11/09 08:22
推
cckhyofg
: 麵糊的一生
24F 11/09 08:24
推
eternal5429
: 哈 麵糊
25F 11/09 08:26
推
MonkeyD5566
: 看起來整理的不是很漂亮
26F 11/09 08:27
推
Arens5566
: 這個已經沒用了,傻眼,快414吧
27F 11/09 08:28
推
redcarp0702
: 麵糊這輩子也就這樣了
28F 11/09 08:29
→
andlines
: 下次再來看看被磨的怎樣
29F 11/09 08:35
推
ben108472
: 晚上風切這麼大,要怎麼整好,連去年康芮的強度都
無法達成,真是爛死了
30F 11/09 08:43
推
azcooper
: 麵糊去樓空江自流
32F 11/09 08:43
推
thingslove
: 連這裡也要仿效貼吧對颱風開嘲諷了是嗎
33F 11/09 08:47
推
JustWinslow
: 看起來無法放假了 爛麵糊 414
34F 11/09 08:48
推
Sky77777777
: 南部應該會放假吧
35F 11/09 08:50
推
Peyshan
: 拜託快消失!!!
36F 11/09 08:50
推
cookie123
: 對岸的網友也是瘋狂開嘲諷啊哈哈哈
37F 11/09 08:52
推
kasim65
: 麵糊來台灣會下爛吧?
38F 11/09 08:54
推
Luciferous
: 希望北轉後就解體
39F 11/09 08:57
推
liko7676
: 連颱風也能嘲笑 真的是…
40F 11/09 08:58
推
aegis43210
: 真的是很失望,原本以為至少140kts的
41F 11/09 08:59
推
tetratio
: 大爛眼
42F 11/09 08:59
→
aegis43210
: 真的是慘不忍睹的鳳凰
43F 11/09 09:01
→
soilndger
: 怎麼跟去年的天兔的時間差不多 也是行蹤不定 可是
去年天兔最後是真的灰飛煙滅 這個鳳凰也會嗎?
44F 11/09 09:02
→
jeffh
: 就又一隻來挑戰中央山脈aka東北季風的熱帶擾動這樣
46F 11/09 09:04
推
ben108472
: 天兔當初也是模式一直認為會登陸,結果死在近岸
47F 11/09 09:04
→
jeffh
: (攤手
48F 11/09 09:04
推
oboesoul
: 對岸講什麼跟我們有關係嗎?
怎麼好像有人很在乎對岸講什麼
49F 11/09 09:04
→
ben108472
: 對岸風迷圈其實很專業,討論一下有什麼問題
51F 11/09 09:05
推
cookie123
: 我的意思是不管哪裡的風迷都在嘲笑的意思
52F 11/09 09:06
→
ben108472
: 現在大多數系集數值網站都是對岸學生自己開發出來
的,他們還搞出很多分析法
53F 11/09 09:06
→
cookie123
: 而且對岸的討論區如同Ben大講得 有些很專業
55F 11/09 09:06
推
earthsaver
: 去年屋頂被颱風吹飛一角
56F 11/09 09:09
推
chobo318
: 天祐菲律賓
57F 11/09 09:09
推
Yohan961205
: 對岸有些超專業的
58F 11/09 09:10
→
airua
: 恨鐵不成鋼,恨颱不成糊
59F 11/09 09:10
→
TISH12311
: 意思就台灣附近死掉 大家安心上班
60F 11/09 09:13
→
timidwei
: 很多圖還都從那邊論壇轉過來的 別瞧不起
61F 11/09 09:16
推
dreamaa8260
: 有些人一聽到對岸就跳腳,尊重專業並不難,一再鄙夷
抗拒反而像長不大的小丑孩子
62F 11/09 09:20
推
kasim65
: 這邊不是討論專業嗎?對岸風迷要是專業文章數據,
分享過來才是正確的吧?
64F 11/09 09:23
推
Lemonfish004
: 被FNV3 唬了 以後AI看路徑就好 強度就算了
66F 11/09 09:25
推
Ferrero0212
: 可以死在路上不要來嗎QQ
67F 11/09 09:27
推
kizo
: 難以理解所謂的風迷,那麼愛強颱也沒去當地感受,
看著數據.看著氣象圖就能自嗨? 真是厲害了
68F 11/09 09:34
推
liang0703
: 還好我原本就覺得過了菲 一定弱超級多 不抱希望
70F 11/09 09:35
推
WCTB
: 走快一點~~~~
71F 11/09 09:36
推
cookie123
: 要嘲諷那你幹嘛來這版看?
72F 11/09 09:37
推
thingslove
: FNV3的預估強度如果是建立在強對流上好像也沒那麼
不準了,畢竟ADT分析都高潮成這樣
73F 11/09 09:40
推
Chang0212
: FNV3某方面來說預測的強度也達成了 ADT的部分XDD
75F 11/09 09:44
推
mepatn
: 鳳凰浴火重生
76F 11/09 09:45
→
dildoe
: 原來AI強度是這摸來的XD
77F 11/09 09:45
推
etry12768
: 這種大範圍的颱風,本來增強速度與整合就偏慢了
78F 11/09 09:45
推
Eeli2008
: 但雲圖蠻壯觀的
79F 11/09 09:47
→
dildoe
: 整個大風吹 生成點又不遠 留下可用增強時空間就可惜
80F 11/09 09:48
推
Lemonfish004
: FNV3 是擾動剛形成就報C5了 顯然它根本沒有把結構
考慮進去
81F 11/09 09:49
推
edwin040286
: 看來目前高機率死在海上,大家可以回家了
83F 11/09 09:49
→
Lemonfish004
: 昨天連很容易高潮的HWRF HAFS都只有報中等C4 就該
知道問題大了
84F 11/09 09:50
推
Scene17
: 雖有南部可以逃過一劫嗎?不專業路過只會看windy目
前又往西修正還沒登陸前就散了
*所以南部可以逃過一劫嗎?
86F 11/09 09:53
→
q2825842
: 很少人會笑其它國家對颱風的專業討論吧。中國被詬
病的是風災的應對和治水,不要為了帶風向刻意混淆
89F 11/09 09:54
推
Lemonfish004
: 這次也把AI信徒打臉了 強度不準成這樣 顯然AI還有
很多要學的
91F 11/09 09:55
→
dildoe
: 西台灣還有搞些海洋幾號又開放資料 很多文的SCAT
風速 還是看到的用海洋的資料
93F 11/09 09:56
推
frozenmoon
: 菲律賓好慘......
95F 11/09 09:57
推
payneblue
: 趕快散吧 今年夠多了
96F 11/09 09:57
推
thingslove
: 可是目前的AI主要還是拿來看路徑比較多,強度預測
普遍上望較低(除了今年上架的FNV3)
97F 11/09 09:58
推
TMC850613
: 8點維持中颱上限 上望51m/s
99F 11/09 10:00
推
abyepi
: 別來..越弱越好
100F 11/09 10:01
推
tina1007
: AI是拿來看路徑誰跟你看強度?
101F 11/09 10:01
推
mepatn
: 鳳凰涅槃,重生
102F 11/09 10:03
推
kasim65
: 強度會受很多因素影響吧?ai很難準到哪去
103F 11/09 10:06
推
lovebabyqqq
: 感覺麵糊
104F 11/09 10:10
→
airua
: 南起來!
105F 11/09 10:11
推
luckymore
: XDDDDD CWA也表示巔峰就摸到強颱邊緣而已
106F 11/09 10:12
→
airua
: AI強度預測如果持續進步,以後就難笑它了
107F 11/09 10:13
→
andlines
:
https://i.mopix.cc/6h7aC4.jpg
108F 11/09 10:16
推
joy2105feh
: 麵糊這輩子就這樣了
109F 11/09 10:16
推
Championlins
: 應該還是有機會摸到強颱邊緣的!
110F 11/09 10:21
推
vaughn
: 黃實路徑預報一定牽連著強度的,這也是現在ai還常不
其
那麼準的原因,就期待ai再進化囉,但到目前為止是蠻
讓人期待的
111F 11/09 10:22
推
icando
: 登菲了吧!這樣還能增強??
115F 11/09 10:23
推
kasim65
: 至少今年看ai的路徑預測,我這外行人覺得算很準了
116F 11/09 10:25
推
Championlins
: 之前很多近岸增強的啊!登陸呂宋島前還有一絲機會
117F 11/09 10:25
→
kasim65
: ……
118F 11/09 10:25
推
ga278057
: 看菲災情就知道強不強了
119F 11/09 10:26
推
vaughn
: 尤其是秋颱,常常強度不同,導引的高壓層就不同,
就像有時我們會講愈強愈西或愈北之類,這個時候強度
能預測的準,路徑才能預報的好,所以強度的預報能力
一定要再進步的
120F 11/09 10:28
→
rockmaxdash
: 寧願別放假 也別再加重南部災情了
124F 11/09 10:38
推
cckhyofg
: 如果這次被gfs賽到一次就好笑了
125F 11/09 10:45
推
aa2191290616
: 11月中旬還能有颱風登陸..
126F 11/09 10:45
推
luckymore
: 如果他近台時已經爛掉了 確實有可能被東北季風帶往
127F 11/09 10:48
推
jimmy415
: 風吧的討論有提到fnv3等AI模型跟傳統數值相比,沒
128F 11/09 10:48
→
luckymore
: 西南邊...
129F 11/09 10:48
→
jimmy415
: 有考慮颱風構成的物理條件,可能是因此沒有針對鳳
凰TD時期的雙中心爛結構修正上望
130F 11/09 10:48
推
cuteman0725
: 今年10月份高溫破紀錄 11月份也不算太涼 搞不好會
破2004年12月初颱風登陸的紀錄 12月中搞不好也會有
颱風登陸
132F 11/09 10:49
推
luckymore
: 期待的跨年颱呢(敲碗?)
135F 11/09 10:54
推
vaughn
: ec11月過後,報的蠻冷的
11月中
136F 11/09 10:55
推
saimeitetsu
: 北轉的點一直延後越推越遠,過菲律賓再看
138F 11/09 10:56
推
Lemonfish004
: 有人規定AI不能看強度嗎
而且像V大說的 強度跟路徑是有關的 最理想狀況當然
是兩個都準
139F 11/09 10:56
推
ligin
: 強度不如預期 看起來就是天兔上不來
142F 11/09 11:04
推
aa1477888
: AI有可能用錯誤的過程 得到正確的結果
143F 11/09 11:05
→
dildoe
: 簡稱幻覺 如果這位勢高 是夏天的 搞不好強度會更好
144F 11/09 11:07
推
HellFly
: 哈隆那次就是強度影響路徑,所以那一次AIFS的路徑表
現就優於FNV3
145F 11/09 11:10
→
dildoe
: 數值跟實際在夏秋季節轉也是各種風騷走位
147F 11/09 11:10
推
a16628667
: 一開始吹很大的颱風XD 結果連強颱都有困難
148F 11/09 11:19
推
azcooper
: 麵糊台上麵糊樓
149F 11/09 11:20
推
zxcv820421
: 這感覺還沒到台灣就會散掉了
150F 11/09 11:21
→
azcooper
: 烏薩琪原地減弱消失
天氣愛
如果這路徑發生在七月南部才要小心 這季節東北風、
台灣海峽海外自帶rebuff
151F 11/09 11:22
→
andlines
:
https://i.mopix.cc/mZ8pbP.jpg
過去三小時變化
155F 11/09 11:27
推
papayapa
: rebuff 還是debuff?
157F 11/09 11:31
--
作者 kadar 的最新發文:
+25
[新聞] 李在明:朝鮮不會棄核 維持現狀也是雙贏 - Military 板
作者:
kadar
218.164.136.20
(台灣)
2026-01-25 23:41:56
韓民族日報 記者張藝智 韓國總統李在明就因對話中斷而陷入僵局的朝核問題表示,即便不放棄無核化理想,也必須 正視現實。針對朝鮮不斷提升的核能力,他再次強調應採取分階段、漸進式解決方案,而非 追求立即全 …
42F 25推
+8
[新聞] SM攜手微博 全面開放「二次創作音樂」 - KoreaStar 板
作者:
kadar
114.137.239.58
(台灣)
2026-01-17 21:03:16
17F 8推
+6
[新聞] 韓國政府將推動恢復9·19軍事協議 - Military 板
作者:
kadar
39.9.226.173
(台灣)
2026-01-14 17:20:58
10F 6推
+25
[新聞] 韓統一部:金正恩憂遭斬首 換3名維安部長 - Military 板
作者:
kadar
39.9.226.173
(台灣)
2026-01-13 22:10:43
中央廣播電台 記者黃凡甄、宋皖媛 南韓當局今天(13日)表示,北韓領導人金正恩近期撤換了3名身邊的高階維安人員,顯示 這位獨裁者可能對暗殺行動感到日益擔憂。 法新社報導,南韓統一部根據去年10月北韓 …
41F 25推
+29
[新聞] 李:對中日爭端關心但不介入 望圓滿落幕 - Military 板
作者:
kadar
39.9.226.173
(台灣)
2026-01-13 13:01:24
韓民族日報 許英智記者 韓日首腦會談前夕,韓國總統李在明明確表示:「對韓國而言,與日本的關係和與中國的關 係同樣重要。」他指出,中日對立不利於東北亞的和平與穩定,期待兩國通過對話圓滿解決 問題。 李 …
69F 31推 2噓
點此顯示更多發文記錄