回看板
Disp BBS
看板
TY_Research
作者
kadar
(卡卡達達)
標題
Re: [颱風] 2526 鳳凰
時間
Sun Nov 9 22:29:03 2025
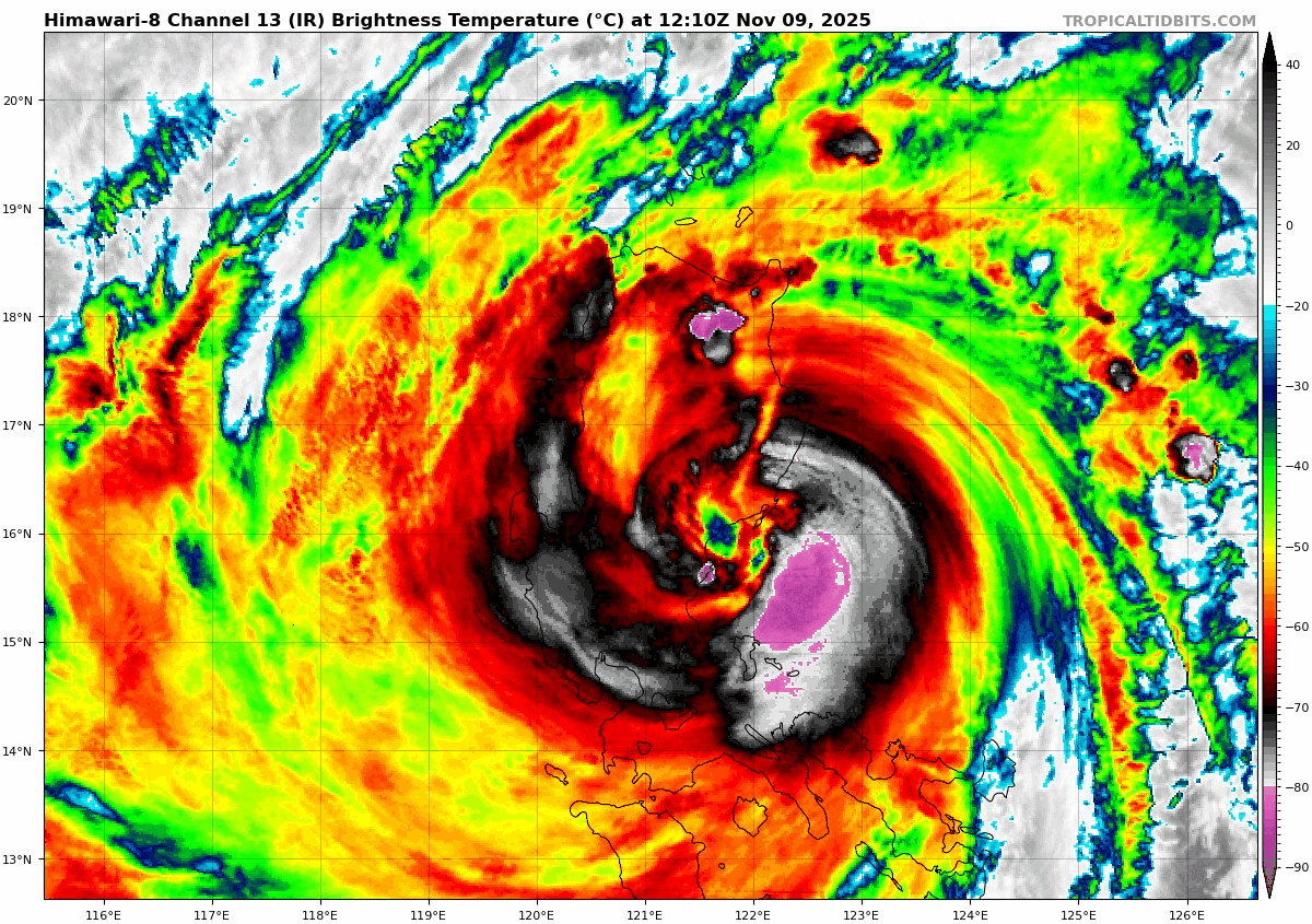
PAGASA在稍早宣布
鳳凰在晚上9點10分登陸Aurora省Dinalungan
預計今天晚上到明天清晨會通過陸地進入南海
https://i.imgur.com/uSQiztb.jpeg
06Z的數值模式當中
除了HWRF及HFSA離峰預測
EC及GFS的預報與00Z差異不大
https://i.imgur.com/rTFSlNw.png
https://i.imgur.com/2QnnqFZ.png
接下來可以觀察實測是否符合預期
並觀測接下來靠近台灣的角度
CWA預計在明天下午發布海警、後天上午發布陸警
請留意最新氣象動態,做好防颱準備,留意自身安全
--
※ 發信站: 批踢踢實業坊(ptt.cc), 來自: 42.78.156.199 (臺灣)
※ 作者:
kadar
2025-11-09 22:29:03
※ 文章代碼(AID): #1f4AKntF (TY_Research)
※ 文章網址:
https://www.ptt.cc/bbs/TY_Research/M.1762698545.A.DCF.html
※ 同主題文章:
[颱風] 2526 鳳凰
11-06 06:30
kadar
Re: [颱風] 2526 鳳凰
11-06 16:16
kadar
Re: [颱風] 2526 鳳凰
11-07 07:52
kadar
Re: [颱風] 2526 鳳凰
11-07 16:02
kadar
Re: [颱風] 2526 鳳凰
11-08 10:02
kadar
Re: [颱風] 2526 鳳凰
11-08 20:20
kadar
Re: [颱風] 2526 鳳凰
11-09 06:25
kadar
Re: [颱風] 2526 鳳凰
11-09 11:22
kadar
Re: [颱風] 2526 鳳凰
11-09 17:13
kadar
Re: [颱風] 2526 鳳凰
11-09 22:29
kadar
Re: [颱風] 2526 鳳凰
11-10 05:06
kadar
Re: [颱風] 2526 鳳凰
11-10 09:42
kadar
→
a187
: 11/12下午3點回台的飛機= = 救救我
1F 11/09 22:29
→
cookie123
: 你在哪邊問都一樣啦 不會有人理你
推卡大
2F 11/09 22:30
→
Capital235
: 別理他,不要跟他吵以免被鎖文
4F 11/09 22:31
推
lineage0916
: 別理a187,讓他自己尷尬
5F 11/09 22:33
推
srwcc
: 推
6F 11/09 22:33
推
p0916336248
: 版主該上工了
7F 11/09 22:33
※ 編輯: kadar (111.255.194.90 臺灣), 11/09/2025 22:33:33
推
ez910115
: 破半邊洞,出菲律賓還會進化到中颱?
8F 11/09 22:34
推
komeko
: 全部數值都向FNV3靠攏了 真厲害 距離那麼遠就能收
束成這樣 幾乎沒什麼變化
https://i.imgur.com/7uWPe
9F 11/09 22:35
推
a89103050
: 推卡達大提供資訊
11F 11/09 22:35
→
komeko
:
https://i.imgur.com/PFv9Xrk.jpeg
12F 11/09 22:35
推
Yang0108
: 應該是雷達有點問題 東北象限應該沒有那麼破才對
13F 11/09 22:36
推
lineage0916
:
https://i.imgur.com/gtmJz92.jpeg
14F 11/09 22:36
推
leonhu
: 想來探探台灣海峽是吧...
15F 11/09 22:37
推
ceritawa
:
https://i.imgur.com/7ircjmP.png
氣象局48-72小時預報已經沒有十級風半徑 是否表示
登陸中南部也不會有像樺嘉莎那樣的強風了?
16F 11/09 22:37
→
andlines
: 看後續轉向 FNV3是不是也這麼準
19F 11/09 22:38
推
Capital235
: 可是他的環流很大欸
應該還是很有感吧
20F 11/09 22:40
→
airua
: 很玄的6G9又要出現一排了
22F 11/09 22:41
推
colamaz
: 怎麼救你,叫大自然颱風滾去旁邊?傻眼
23F 11/09 22:41
推
HellFly
: 登陸點附近還是會有瞬間較強風雨,但應該不會持續太
久
24F 11/09 22:41
推
ceritawa
: 至少不會有死亡半圓了 十級均風半徑真的很致命
26F 11/09 22:42
推
jerry4311
: 推一個
27F 11/09 22:42
推
thingslove
: 回ceritawa大 48-72小時的位置已經登陸,並降為輕颱
28F 11/09 22:43
推
HWtseng
: 西部這樣進來,應該還是風力有感啦,但是可能有感
時間不會拖太久。
29F 11/09 22:44
推
davidwales
: 是不是該做防颱了?
31F 11/09 22:44
→
crocker
: 感覺會死在台灣上空
32F 11/09 22:45
推
pxhome
: 如果變性成功就不會死
33F 11/09 22:46
推
ceritawa
:
https://i.imgur.com/CEL4SJl.png
48-72小時不是應該11號到12這段?
34F 11/09 22:46
推
komeko
: 是 請做好防颱準備
36F 11/09 22:47
→
swallow919
: 南部飆風機率很大,但應該不會像7月丹娜絲持續飆風
那麼長時間
37F 11/09 22:47
推
ceritawa
: 記錯不是樺嘉莎 是丹娜絲死亡半圓掃過台南嘉義
39F 11/09 22:50
→
timidwei
: 看他在南海時有無機會增強
40F 11/09 22:50
推
komeko
: 丹娜斯環流非常小 影響範圍也蠻小的 只有雲嘉一帶
41F 11/09 22:50
推
Yang0108
: 西半部台中以南十級應該還是會達標 但像丹娜絲那種
1415破壞性的不至於會出現了
42F 11/09 22:50
→
ceritawa
: 拜託保佑這次沒有死亡半圓
44F 11/09 22:50
推
thingslove
: 我是直接看移速底下所預測的時間及位置判斷的
45F 11/09 22:50
→
ceritawa
: 所以48-72小時到底登陸了沒?@@
拜託別再扛十級均風
46F 11/09 22:52
推
komeko
:
https://meee.com.tw/PUsHkbb.gif
丹那絲就這麼小而已
https://meee.com.tw/PUsHkbb.gif
https://meee.com.tw/gAbpzsA.gif
48F 11/09 22:53
推
TMC850613
: 丹娜絲是完整結構登陸 還是有差
52F 11/09 22:54
→
andlines
:
https://i.mopix.cc/jHJHU6.jpg
大概跑了1/4左右
53F 11/09 22:54
推
cookie123
: 有東北季風加乘 要達到10級風應該不是太困難吧
55F 11/09 22:55
→
ceritawa
: 是的 丹娜絲登陸時還是有十級風半徑的
56F 11/09 22:56
→
andlines
: 丹娜絲登陸前剛好是巔峰 沿海尻到吐血
57F 11/09 22:56
推
NicholasTse3
: 強渡好像不強
58F 11/09 22:57
推
davidwawa
: 小J預報出海後還有一小段回血時間 不知會不會成真
59F 11/09 22:57
推
uodam64402
: 還是要看從現在到接近臺灣時,風場受不利因素收縮的
60F 11/09 22:57
噓
daqn1125
: 今天北部鳳很大
61F 11/09 22:58
推
jonathanK
: 感覺不會登陸
62F 11/09 22:58
→
uodam64402
: 狀況,另外還要考慮到會不會在登陸前後爆CCC的問題
63F 11/09 22:58
→
ceritawa
: 因為長跑澳門 一直關注樺嘉莎 跟山竹的差別就是樺
嘉莎十級風死亡半圓沒有輾過港澳 所以這次災情相對
輕
64F 11/09 22:58
推
cenaLBJ
: 快散掉吧
67F 11/09 22:59
推
Yang0108
: 感覺已經過一半了欸 凌晨應該就會出海了
68F 11/09 22:59
推
qadc
: 出海沒環境讓他維持了
69F 11/09 23:01
推
arthur01832
: 給風速最小氣的韓國KMA 10點最新一報: 鳳凰要登陸台
70F 11/09 23:02
推
komeko
:
https://meee.com.tw/liKoKf4.gif
連當年的定竿大王山陀兒我也有存
71F 11/09 23:03
推
xcruciating
:
https://i.urusai.cc/CcRCe.webp
73F 11/09 23:04
→
xcruciating
:
https://i.urusai.cc/Dmy8a.webp
74F 11/09 23:04
→
arthur01832
: 灣西南部前 在近海近中心風速仍有 32m/s(10分鐘平
75F 11/09 23:04
→
andlines
: 也存太多了吧XD
76F 11/09 23:05
推
Eeli2008
: 我覺得強度預測不比路徑簡單耶 也是參考而已吧
77F 11/09 23:05
推
komeko
: 這幾年要登陸台灣的颱風都存一下 做個紀念
78F 11/09 23:06
→
andlines
: 山陀兒那時候真的很漂亮,但又怕他登陸= =
79F 11/09 23:07
→
arthur01832
: 風) 且從菲律登陸到出海 再轉向台灣的過程 風速只從
80F 11/09 23:07
推
komeko
: 定竿到後面被東北風吹到禿頭XD
如果沒有那個定竿 高雄市會很慘
81F 11/09 23:07
→
arthur01832
: 47m/s 減到 32m/s
83F 11/09 23:09
推
ceritawa
: 對西南部而言 十級均風西南風第三第四是鐵皮極限
山陀兒就是明顯例子 南高雄滿目瘡痍 北高台南相對
輕微
丹娜絲也是第三第四象限十級風死亡半圓一路往北掃
84F 11/09 23:09
→
arthur01832
: CMA 和 澳門氣象局也預測 從菲律賓出海後先減弱再增
強一點
88F 11/09 23:12
推
komeko
: 南高雄影響較嚴重的原因可能是颱風從西往東過程中
風是從逆時針 西南→南 轉上來 南高雄變成迎風面
第一排 風要到北高雄時還要先轉到屏東鳳山再到北高
90F 11/09 23:13
推
snocia
: 突然發現氣象署晚上這報「預測 96 小時內變性為溫
帶氣旋」
93F 11/09 23:15
推
ceritawa
: 所以西南部搖滾區就是在登陸點的南邊 鐵皮殺手
95F 11/09 23:16
推
komeko
:
https://i.imgur.com/fD59nM4.jpeg
看雲圖 高層雲系
已經一半在海上
96F 11/09 23:16
推
l861128
: 怎麼結構看起來還這麼完整?登陸菲律賓都沒有影響
嗎?
98F 11/09 23:17
推
xxxff0645
: 大概過21N前都能增強 後面看位置
340F 11/10 09:35
推
proman614
:
https://i.imgur.com/IAyRN7h.png
341F 11/10 09:38
推
WCTB
: 有環境不好但依然增強的勵志故事嗎
342F 11/10 09:40
推
Capital235
: 楊柳?
343F 11/10 09:45
推
MonkeyD5566
: 看雲圖好像快散了,菲律賓幫忙擋了一槍真的是辛苦了
344F 11/10 09:45
推
xxxff0645
: 現在環境沒有不好啊 要到北上過20N 風切加大熱
力條件不夠才會轉差
345F 11/10 09:47
--
作者 kadar 的最新發文:
+25
[新聞] 李在明:朝鮮不會棄核 維持現狀也是雙贏 - Military 板
作者:
kadar
218.164.136.20
(台灣)
2026-01-25 23:41:56
韓民族日報 記者張藝智 韓國總統李在明就因對話中斷而陷入僵局的朝核問題表示,即便不放棄無核化理想,也必須 正視現實。針對朝鮮不斷提升的核能力,他再次強調應採取分階段、漸進式解決方案,而非 追求立即全 …
42F 25推
+8
[新聞] SM攜手微博 全面開放「二次創作音樂」 - KoreaStar 板
作者:
kadar
114.137.239.58
(台灣)
2026-01-17 21:03:16
17F 8推
+6
[新聞] 韓國政府將推動恢復9·19軍事協議 - Military 板
作者:
kadar
39.9.226.173
(台灣)
2026-01-14 17:20:58
10F 6推
+25
[新聞] 韓統一部:金正恩憂遭斬首 換3名維安部長 - Military 板
作者:
kadar
39.9.226.173
(台灣)
2026-01-13 22:10:43
中央廣播電台 記者黃凡甄、宋皖媛 南韓當局今天(13日)表示,北韓領導人金正恩近期撤換了3名身邊的高階維安人員,顯示 這位獨裁者可能對暗殺行動感到日益擔憂。 法新社報導,南韓統一部根據去年10月北韓 …
41F 25推
+29
[新聞] 李:對中日爭端關心但不介入 望圓滿落幕 - Military 板
作者:
kadar
39.9.226.173
(台灣)
2026-01-13 13:01:24
韓民族日報 許英智記者 韓日首腦會談前夕,韓國總統李在明明確表示:「對韓國而言,與日本的關係和與中國的關 係同樣重要。」他指出,中日對立不利於東北亞的和平與穩定,期待兩國通過對話圓滿解決 問題。 李 …
69F 31推 2噓
點此顯示更多發文記錄