回看板
Disp BBS
看板
TY_Research
作者
kadar
(卡卡達達)
標題
Re: [颱風] 2526 鳳凰
時間
Sun Nov 9 17:13:28 2025
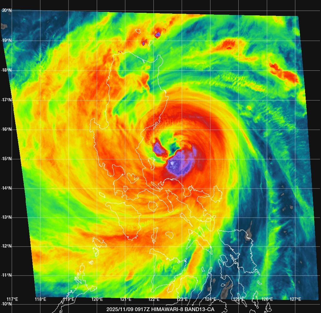
没意外的話
這傢伙1Z的時候眼牆估計在菲律賓上岸了
從00Z的預報來看
GFS跟EC似乎路徑上向FNV3倒戈了
https://i.imgur.com/C0R01SE.jpeg
https://i.imgur.com/V3xO5sQ.jpeg
但在侵台後的路徑變化 GFS似乎更貼近AIFS
https://i.imgur.com/eEMa7vN.jpeg
整體而言FNV3的路徑似乎在這次的預報很穩定
但強度預測就真的不行
https://i.imgur.com/fgpQ9aK.jpeg
雨區預測的部分
GFS認為13日開始降雨減緩的原因
在於鳳凰也死得很快而槽線的影響很快就結束
https://i.imgur.com/C3bD7FV.png
EC的決定性預報與系集平均皆認為
鳳凰離開台灣皆還有TS的強度 因此雨勢仍會持續
https://i.imgur.com/khdOY3S.jpeg
https://i.imgur.com/2kiJXA0.jpeg
AIFS有著跟EC差不多的結論
差在死在台灣上空的時候雲系卡在台灣東南方上空
造成東南部降雨持續
https://i.imgur.com/wV1Jnav.jpeg
另一方面
各AI模式的決定性預報仍支持登陸
只差在登陸點與靠近時的強度差異
落差雖不大 但體感上還是有差異
https://i.imgur.com/K8RlJti.jpeg
TWRF目前也是支持FNV3的論點
同時CWA的路徑也跟TWRF是相符的
https://i.imgur.com/eZvrhwz.jpeg
各機構00Z給予的分析如下
機構代號 T指數
PGTW 6.0
RJTD 5.5
RCTP 6.0
BABJ 6.0
KNES 6.0
--
※ 發信站: 批踢踢實業坊(ptt.cc), 來自: 42.78.72.100 (臺灣)
※ 作者:
kadar
2025-11-09 17:13:28
※ 文章代碼(AID): #1f45iwAt (TY_Research)
※ 文章網址:
https://www.ptt.cc/bbs/TY_Research/M.1762679610.A.2B7.html
※ 同主題文章:
[颱風] 2526 鳳凰
11-06 06:30
kadar
Re: [颱風] 2526 鳳凰
11-06 16:16
kadar
Re: [颱風] 2526 鳳凰
11-07 07:52
kadar
Re: [颱風] 2526 鳳凰
11-07 16:02
kadar
Re: [颱風] 2526 鳳凰
11-08 10:02
kadar
Re: [颱風] 2526 鳳凰
11-08 20:20
kadar
Re: [颱風] 2526 鳳凰
11-09 06:25
kadar
Re: [颱風] 2526 鳳凰
11-09 11:22
kadar
Re: [颱風] 2526 鳳凰
11-09 17:13
kadar
Re: [颱風] 2526 鳳凰
11-09 22:29
kadar
Re: [颱風] 2526 鳳凰
11-10 05:06
kadar
Re: [颱風] 2526 鳳凰
11-10 09:42
kadar
※ 編輯: kadar (42.78.72.100 臺灣), 11/09/2025 17:15:33
推
thingslove
: 小J的德法是不是機構裡最嚴格的啊?
1F 11/09 17:18
推
xcruciating
:
https://i.imgur.com/b274AEv.jpeg
https://i.imgur.com/1wnCbC5.jpeg
2F 11/09 17:20
→
xcruciating
:
https://i.imgur.com/6CDTJMH.jpeg
4F 11/09 17:20
推
yasan1029
: 自家11號北部雨量感覺好多
5F 11/09 17:22
推
all035
: 不管哪個路徑 就是各地注意好防颱就對了
6F 11/09 17:25
推
Healine
: 所以13號登陸時 反而沒有風雨是嗎?
7F 11/09 17:26
→
andlines
:
https://i.mopix.cc/w97Qfd.jpg
眼睛感覺快爛掉了
8F 11/09 17:26
推
proman614
: 登陸是12號晚上
以他近台時強度 一登陸應該就快解體了
10F 11/09 17:29
推
frozenmoon
: GFS不堅持到最後 縮了
12F 11/09 17:30
※ 編輯: kadar (42.78.72.100 臺灣), 11/09/2025 17:30:47
→
sa952618
: 拜託別在台灣頭上解體
13F 11/09 17:32
推
Capital235
: 如果在台灣上空解體會是最不利的情況嗎
14F 11/09 17:34
→
airua
: 會刷整排6G9嗎? @@
15F 11/09 17:34
→
fman
: 從中間穿台是要挑戰中央山脈嗎?覺得還是從北邊或南
16F 11/09 17:34
推
william12tw
: 13號早上的桃園的飛機 會不會被影響啊...?
17F 11/09 17:34
→
fman
: 邊穿越比較有可能
18F 11/09 17:34
推
agh386690
: 這次預報很考驗,因為有可能是警戒區之外的北部東
19F 11/09 17:36
推
valen147258
: 13號早上基本會影響吧
20F 11/09 17:36
→
agh386690
: 部影響最大,颱風本體進來可能還好,但如果考量防災
是否大規模降雨要雙重發布
21F 11/09 17:36
推
jrxcombine
: 衣服會留在台灣上空影響一整週嘛?
23F 11/09 17:36
※ 編輯: kadar (42.78.72.100 臺灣), 11/09/2025 17:38:17
推
ken3kg21
: 可以不要侵台嗎 怕爆
24F 11/09 17:39
推
vaughn
: 其實東北風這麼強的情況下,應該也不會有很長時間對
25F 11/09 17:40
推
aa1477888
: 這幾天降雨預報 唯一沒變的趨勢
26F 11/09 17:40
推
super1937
: AI倒是沒甚麼變?
27F 11/09 17:40
→
aa1477888
: 就是東部降雨始終驚人
28F 11/09 17:40
推
chichi850828
: 衣服拜託帶走謝謝
29F 11/09 17:41
→
vaughn
: 流留在台灣的情況,主要就約2天的強降雨,但雨量可
能很驚人
30F 11/09 17:41
推
cookie123
: 氣象署自己的高解析也是很恐怖
32F 11/09 17:42
→
airua
: 光電板撐的住麵糊嗎?
33F 11/09 17:42
→
aa1477888
: 這次的風雨預報 將是今年難度最高的一次
34F 11/09 17:42
推
Capital235
: 高解析要去哪看
35F 11/09 17:43
→
aa1477888
: 還有前面說的 怎麼預警也是很尷尬
36F 11/09 17:43
推
cookie123
: 前面有
37F 11/09 17:44
→
aa1477888
: 至少有四個關鍵因素要考量
颱風路徑、颱風強度、東北風強度、共伴位置
只要算錯其中一個 預警就會大Miss
38F 11/09 17:44
→
cookie123
: 但問題是這次每個的不確定因素都太高了.....
也許只能邊走邊看
41F 11/09 17:45
推
daae
: 雨好像閃不過
43F 11/09 17:46
→
cookie123
: 能確定的是東部的雨量少不了
44F 11/09 17:46
→
aa1477888
: 先幫CWA打好預防針了哦XD
45F 11/09 17:46
推
zzs12334455
: 氣象署的定量降水預報 東半部怎麼都紅一片
46F 11/09 17:47
→
cookie123
: 北部的雨量光CWA就很難預測了 何況縣市政府還有放
假的問題
47F 11/09 17:47
→
lc85301
: 怕
49F 11/09 17:48
推
davidwales
: 是不是該討論防災了?
50F 11/09 17:49
→
aa1477888
: 因為鳳凰風場大 無論有沒有東北風
只要是走這個路線 東部就會有大雨
加上鳳凰屆時即便核心較弱 環流也不會縮太多
51F 11/09 17:49
→
davidwales
: 機構路徑似乎都預測會登陸
54F 11/09 17:49
→
aa1477888
: 所以東部降雨的趨勢很明確
55F 11/09 17:49
→
andlines
: 目前看起來中心朝高山區過去?
56F 11/09 17:52
→
JBryant
: 請問是禮拜三還是禮拜四影響最嚴重呢 感謝
57F 11/09 17:52
推
cookie123
: 應該是禮拜二影響最嚴重??
58F 11/09 17:53
推
rockmaxdash
: 12號凌晨的飛機看起來沒事的機率比較大
59F 11/09 17:54
推
cookie123
: GFS06Z在南海還有小幅增強
60F 11/09 17:55
推
azcooper
: GFS最輸
61F 11/09 17:57
推
cookie123
: 對岸的CMA也是
62F 11/09 17:59
推
NicholasTse3
: 又是這個路線!
63F 11/09 17:59
推
heaventrain
: 11z
64F 11/09 18:00
推
Taenggukim
: 請問11/12台南風雨會很大嗎?那天要拍婚紗現在真的
好擔心
65F 11/09 18:05
推
Eeli2008
: 問飛機一律祝福被取消
67F 11/09 18:08
推
aracian
: 婚紗遇到颱風太慘了
不過攝影師夠強也不用太擔心啦,萬物皆可修
68F 11/09 18:08
推
future1234
: 到台灣時候應該輕颱?
70F 11/09 18:11
推
dunking
: 鳳凰走後差不多要迎來入秋最強冷空氣南下
鳳凰的走法一進入西風帶就是引發劇烈的西風波動
71F 11/09 18:12
推
fman
: 11/12會下雨,可以先準備雨備了
73F 11/09 18:15
推
Superwoof
: 又要下一星期的雨了= =
74F 11/09 18:22
推
edwin040286
: 12號,婚紗會飛起來吧
75F 11/09 18:26
→
xzcb2008
…
→
xzcb2008
: 看起來不妙=.=
76F 11/09 18:28
→
xzcb2008
: 等中氣愛分析了
→
jeffh
: 週三台南拍婚紗照直接雨備方案或取消吧,當天全台灣
78F 11/09 18:31
推
yftsai
: 婚紗應該可以直接改期了吧
79F 11/09 18:31
→
jeffh
: 天氣都不好
80F 11/09 18:31
→
shasharon
: 13號周四高雄拍婚紗的也緊張中 怕
81F 11/09 18:33
推
kasim65
: 颱風天拍婚紗 也是一種體驗 但建議別 有點危險..
82F 11/09 18:35
推
jackhaung
: 北部雨會下到六日嗎?
83F 11/09 18:38
推
singlesingle
: 颱風天拍婚紗可以拍的像瑪麗蓮夢露一樣夢幻(誤)
84F 11/09 18:39
推
polkihhy5
: 拍婚紗能改期就改期吧,下雨淋濕會很狼狽笑不出來..
85F 11/09 18:42
→
newsnew
: 13號高雄可能還有機會
86F 11/09 18:44
→
swallow919
: 南部週三有可能刷風速,別外出冒險
87F 11/09 18:45
推
TMD5566
: 婚紗堅持不改期的是要冥婚嗎
88F 11/09 18:47
推
Capital235
: 怎麼變成討論婚紗了?
89F 11/09 18:49
推
luckymore
: 風雨中的婚紗也是一種浪漫(?)
如果他登陸地點在台南以南 這邊環境比較好些 強度應
該維持得比較好
90F 11/09 18:50
推
mepatn
: 鳳凰展翅高飛
93F 11/09 18:53
推
rogergon
: 拜託趕快散掉吧,都11月了不想再看到颱風。
94F 11/09 18:54
推
azcooper
: 去年的11月颱登陸失敗,今年會成功嗎
95F 11/09 18:57
推
vaughn
: 週三台南的天氣,可能要週二才會比較明朗
96F 11/09 18:59
推
s74109630
: 政府們要準備好排水
97F 11/09 19:00
推
vaughn
: 現在唯一可以確定的應該是東部的強降雨
98F 11/09 19:03
推
nick202153
: 預測只信ec
99F 11/09 19:05
推
Capital235
: 別理他,以免引戰變鎖文,視而不見即可
302F 11/09 22:30
→
arthur01832
: 移動到北緯20度左右 都有機會再重整結構
303F 11/09 22:31
推
dreamaa8260
: 沒有,重要會議跟天氣版沒關係,跟你主管比較有關係
304F 11/09 22:32
推
belas
: 感覺來引戰的
305F 11/09 23:06
推
Championlins
: 謝謝uo大詳細的回覆~~
306F 11/09 23:35
--
作者 kadar 的最新發文:
+13
Re: [颱風] 2526 鳳凰 - TY_Research 板
作者:
kadar
59.127.163.9
(台灣)
2025-11-10 09:42:42
21F 13推
+59
Re: [颱風] 2526 鳳凰 - TY_Research 板
作者:
kadar
58.114.145.40
(台灣)
2025-11-10 05:06:28
PAGASA在稍早宣布鳳凰颱風在凌晨2時 自La Union省Bacnotan海岸線附近出海 出海階段的底層掃描顯示眼還在 但跟登陸前相比縮小許多 看起來破壞的並沒有比預期嚴重 但官方機構的預測認為 …
96F 59推
+161
Re: [颱風] 2526 鳳凰 - TY_Research 板
作者:
kadar
42.78.156.199
(台灣)
2025-11-09 22:29:03
PAGASA在稍早宣布 鳳凰在晚上9點10分登陸Aurora省Dinalungan 預計今天晚上到明天清晨會通過陸地進入南海 06Z的數值模式當中 除了HWRF及HFSA離峰預測 EC及GFS的預報 …
346F 165推 4噓
+5
[閒聊] 被問辦巡迴 宣美:真的有人想看嗎? - KoreaStar 板
作者:
kadar
111.255.194.90
(台灣)
2025-11-09 20:11:15
14F 5推
+171
Re: [颱風] 2526 鳳凰 - TY_Research 板
作者:
kadar
42.78.72.100
(台灣)
2025-11-09 17:13:28
没意外的話 這傢伙1Z的時候眼牆估計在菲律賓上岸了 從00Z的預報來看 GFS跟EC似乎路徑上向FNV3倒戈了 但在侵台後的路徑變化 GFS似乎更貼近AIFS 整體而言FNV3的路徑似乎在這次的預報 …
306F 174推 3噓
點此顯示更多發文記錄